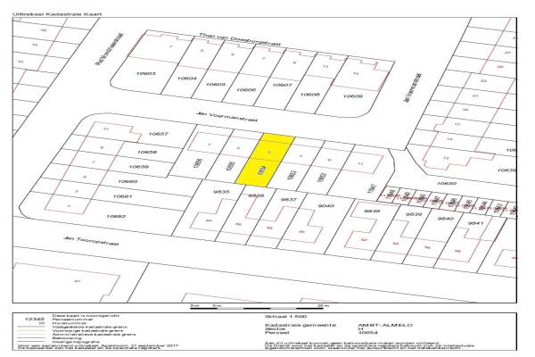
Woning Jan Voermanstraat 5 Almelo

Jan Voermanstraat 5, 7606KK Almelo

Ontvang updates voor Ossenkoppelerhoek-West

Het adres van deze woning uit 1963 is Jan Voermanstraat 5 te Almelo. Het pand heeft een oppervlakte van 88m² en een perceeloppervlakte van 125m² en heeft 6 kamers kamers waarvan 3 slaapkamers. De geschatte waarde van deze woning is € 125.000.

Bekijk alle woningen in Ossenkoppelerhoek-West

Gegevens van Eengezinswoning, tussenwoning

Bouwjaar
1963
Geschatte waarde
€ 125.000
Oppervlakte
88 m2
Inhoud
336 m3
Aantal kamers
6 kamers
Slaapkamers
3
Badkamers
1 badkamer en 1 apart toilet
Soort bouw
Bestaande bouw
Eigendomssituatie
Volle eigendom
Ligging
Aan rustige weg en in woonwijk
Tuin
Achtertuin en voortuin
Achtertuin
60 m² (10m diep en 6m breed)

Voorzieningen in de buurt

Boodschappen0,3 km
Grote supermarkt0,3 km
Cafetaria0,2 km
Restaurant0,3 km
Huisarts0,4 km
Ziekenhuis1,3 km
Kinderdagverblijf0,6 km
BSO0,7 km
Alle voorzieningen in Ossenkoppelerhoek-West

Binnenkijken bij Jan Voermanstraat 5 te Almelo

Meer meldingen in deze omgeving

Onroerend goed
Dinsdag 11-11-2025
Beeklustlaan 23, 7606SZ Almelo

Binnenkijken bij
Dinsdag 11-11-2025
Andreas Schelfhoutstraat 19, 7606KN Almelo

Nieuw bedrijf
Oktober 2025
Windmolenbroeksweg 8, 7606JP Almelo

Binnenkijken bij
Donderdag 16-10-2025
Beeklustlaan 23A, 7606SZ Almelo

Onroerend goed
Donderdag 9-10-2025
George Breitnerstraat 12-c, 7606HG Almelo

Nieuw bedrijf
Oktober 2025
Jan Tooropstraat 26, 7606JT Almelo

Nieuw bedrijf
Oktober 2025
Windmolenbroeksweg 53, 7606JM Almelo

Nieuw bedrijf
Oktober 2025
Jan Tooropstraat 11, 7606JR Almelo

Direct een e-mail ontvangen bij nieuwe meldingen in deze regio?

Meld je dan GRATIS aan voor de Oozo Alert service voor Ossenkoppelerhoek-West

Instellen

Meer nieuws in Ossenkoppelerhoek-West

Weten hoe eenvoudig het is om af te vallen? Zonder pillen en smeersels en zonder je in het zweet te werken!
Kijk op eenvoudig-afvallen.nl

© 2012 - 2025 OOZO.nl - info@oozo.nl - Gegevens verwijderen? | Disclaimer | Privacy statement