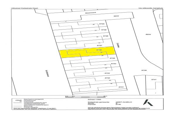
Woning Duinbeke 28 Almelo

Duinbeke 28, 7608KS Almelo

Ontvang updates voor Schelfhorst-Zuidwest

Het adres van deze woning uit 1972 is Duinbeke 28 te Almelo. Het pand heeft een oppervlakte van 112m² en een perceeloppervlakte van 364m² en heeft 6 kamers kamers waarvan 4 slaapkamers. De geschatte waarde van deze woning is € 229.000.

Bekijk alle woningen in Schelfhorst-Zuidwest

Gegevens van Bungalow, geschakelde woning

Bouwjaar
1972
Geschatte waarde
€ 229.000
Oppervlakte
112 m2
Inhoud
595 m3
Aantal kamers
6 kamers
Slaapkamers
4
Badkamers
1 badkamer en 1 apart toilet
Soort bouw
Bestaande bouw
Eigendomssituatie
Volle eigendom
Ligging
Aan rustige weg en in woonwijk
Tuin
Achtertuin en voortuin
Achtertuin
120 m² (12m diep en 10m breed)

Voorzieningen in de buurt

Boodschappen0,9 km
Grote supermarkt0,8 km
Cafetaria0,8 km
Restaurant1,5 km
Huisarts0,8 km
Ziekenhuis6,4 km
Kinderdagverblijf0,6 km
BSO0,8 km
Alle voorzieningen in Schelfhorst-Zuidwest

Binnenkijken bij Duinbeke 28 te Almelo

Meer meldingen in deze omgeving

Binnenkijken bij
Dinsdag 5-5-2026
Burcht 25, 7608JA Almelo

Binnenkijken bij
Dinsdag 5-5-2026
Ter Wadding 22, 7608LH Almelo

Binnenkijken bij
Dinsdag 5-5-2026
Burcht 7, 7608JA Almelo

Nieuw bedrijf
Mei 2026
Duivenvoorde 24, 7608KW Almelo

Binnenkijken bij
Maandag 13-4-2026
Radboud 30, 7608JK Almelo

Binnenkijken bij
Maandag 6-4-2026
Hofwijck 23, 7608LA Almelo

Binnenkijken bij
Zondag 29-3-2026
Ter Wadding 14, 7608LH Almelo

Binnenkijken bij
Dinsdag 17-3-2026
Ter Hooge 25, 7608LJ Almelo

Direct een e-mail ontvangen bij nieuwe meldingen in deze regio?

Meld je dan GRATIS aan voor de Oozo Alert service voor Schelfhorst-Zuidwest

Instellen

Meer nieuws in Schelfhorst-Zuidwest

Weten hoe eenvoudig het is om af te vallen? Zonder pillen en smeersels en zonder je in het zweet te werken!
Kijk op eenvoudig-afvallen.nl

© 2012 - 2026 OOZO.nl - info@oozo.nl - Gegevens verwijderen? | Disclaimer | Privacy statement