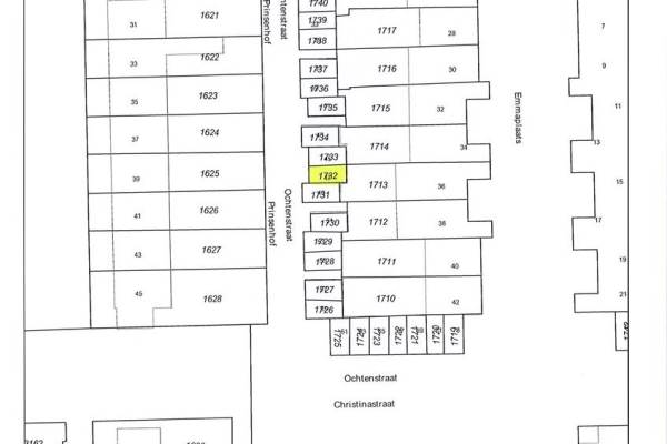
Garage Ochtenstraat 47 Benthuizen

Ochtenstraat 47, 2731 Benthuizen

Ontvang updates voor Benthuizen Dorp-Oost

Het adres van deze garage is Ochtenstraat 47 te Benthuizen. Het pand heeft 0 kamers kamers. De geschatte waarde van deze garage is € 25.000.

Bekijk alle woningen in Benthuizen Dorp-Oost

Gegevens van Garage

Geschatte waarde
€ 25.000
Oppervlakte
0 m2
Aantal kamers
0 kamers
Soort bouw
Bestaande bouw
Eigendomssituatie
Volle eigendom

Voorzieningen in de buurt

Boodschappen0,4 km
Grote supermarkt0,4 km
Cafetaria3,2 km
Restaurant0,4 km
Huisarts0,6 km
Ziekenhuis5,0 km
Kinderdagverblijf0,3 km
BSO0,3 km
Alle voorzieningen in Benthuizen Dorp-Oost

Binnenkijken bij Ochtenstraat 47 te Benthuizen

Meer meldingen in deze omgeving

Binnenkijken bij
Dinsdag 23-9-2025
Christinastraat 44, 2731EZ Benthuizen

Nieuw bedrijf
September 2025
Emmaplaats 32, 2731GL Benthuizen

112 melding
Zaterdag 16-8-2025 om 21:34
Van Zuijtland, Benthuizen

Nieuw bedrijf
Augustus 2025
Emmaplaats 28, 2731GL Benthuizen

Nieuw bedrijf
Juli 2025
Emmaplaats 32, 2731GL Benthuizen

112 melding
Woensdag 2-7-2025 om 01:52
Christinastraat, 2731EZ Benthuizen

Nieuw bedrijf
Juni 2025
Vrijheidslaan 5A, 2731EK Benthuizen

Nieuw bedrijf
Juni 2025
Christinastraat 10, 2731EZ Benthuizen

Direct een e-mail ontvangen bij nieuwe meldingen in deze regio?

Meld je dan GRATIS aan voor de Oozo Alert service voor Benthuizen Dorp-Oost

Instellen

Meer nieuws in Benthuizen Dorp-Oost

Weten hoe eenvoudig het is om af te vallen? Zonder pillen en smeersels en zonder je in het zweet te werken!
Kijk op eenvoudig-afvallen.nl

© 2012 - 2025 OOZO.nl - info@oozo.nl - Gegevens verwijderen? | Disclaimer | Privacy statement