Woning Wouwsestraatweg 196 Bergen op Zoom

Wouwsestraatweg 196, 4623AT Bergen op Zoom

Ontvang updates voor Gageldonk-Oost

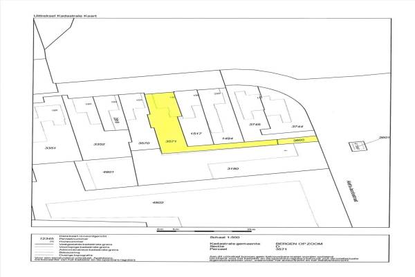
Het adres van deze woning uit 1938 is Wouwsestraatweg 196 te Bergen op Zoom. Het pand heeft een oppervlakte van 92m² en een perceeloppervlakte van 364m² en heeft 4 kamers kamers waarvan 3 slaapkamers. De geschatte waarde van deze woning is € 235.000.

Bekijk alle woningen in Gageldonk-Oost

Gegevens van Eengezinswoning, hoekwoning

Bouwjaar
1938
Geschatte waarde
€ 235.000
Oppervlakte
92 m2
Inhoud
340 m3
Aantal kamers
4 kamers
Slaapkamers
3
Soort bouw
Bestaande bouw
Eigendomssituatie
Volle eigendom
Tuin
Tuin rondom

Voorzieningen in de buurt

Boodschappen0,4 km
Grote supermarkt0,3 km
Cafetaria0,4 km
Restaurant0,8 km
Huisarts0,4 km
Ziekenhuis1,1 km
Kinderdagverblijf0,5 km
BSO0,5 km
Alle voorzieningen in Gageldonk-Oost

Binnenkijken bij Wouwsestraatweg 196 te Bergen op Zoom

Meer meldingen in deze omgeving

Nieuw bedrijf
Maart 2026
Brechterhoeflaan 40a, 4623VR Bergen op Zoom

112 melding
Donderdag 19-3-2026 om 04:39
Groeshof, 4623AR Bergen op Zoom

Binnenkijken bij
Zondag 15-3-2026
Okkernoot 26, 4623AX Bergen op Zoom

112 melding
Zaterdag 14-3-2026 om 23:12
Holleweg, 4623XA Bergen op Zoom

Binnenkijken bij
Vrijdag 13-3-2026
Van Houtenstraat 44, 4623XL Bergen op Zoom

112 melding
Donderdag 12-3-2026 om 22:41
Bunthof, 4623AP Bergen op Zoom

Binnenkijken bij
Donderdag 12-3-2026
Smitsstraat 18, 4623XR Bergen op Zoom

112 melding
Zondag 8-3-2026 om 16:39
Heiningen, Bergen op Zoom

Direct een e-mail ontvangen bij nieuwe meldingen in deze regio?

Meld je dan GRATIS aan voor de Oozo Alert service voor Gageldonk-Oost

Instellen

Meer nieuws in Gageldonk-Oost

Weten hoe eenvoudig het is om af te vallen? Zonder pillen en smeersels en zonder je in het zweet te werken!
Kijk op eenvoudig-afvallen.nl

© 2012 - 2026 OOZO.nl - info@oozo.nl - Gegevens verwijderen? | Disclaimer | Privacy statement