Woning Beukenlaan 77 Borculo

Beukenlaan 77, 7271JL Borculo

Ontvang updates voor Uitbreidingsplan Hambroek

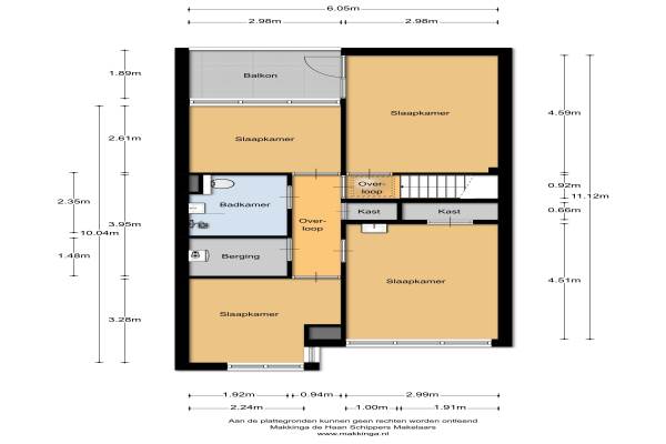
Het adres van deze woning uit 1978 is Beukenlaan 77 te Borculo. Het pand heeft een oppervlakte van 116m² en een perceeloppervlakte van 189m² en heeft 5 kamers kamers waarvan 4 slaapkamers. De geschatte waarde van deze woning is € 139.000.

Bekijk alle woningen in Uitbreidingsplan Hambroek

Gegevens van Eengezinswoning, hoekwoning

Bouwjaar
1978
Geschatte waarde
€ 139.000
Oppervlakte
116 m2
Inhoud
396 m3
Aantal kamers
5 kamers
Slaapkamers
4
Badkamers
1 badkamer en 1 apart toilet
Soort bouw
Bestaande bouw
Eigendomssituatie
Volle eigendom
Ligging
Aan rustige weg, in woonwijk en beschutte ligging
Tuin
Achtertuin, voortuin en zijtuin
Achtertuin
104 m² (13m diep en 8m breed)

Voorzieningen in de buurt

Boodschappen0,7 km
Grote supermarkt0,9 km
Cafetaria0,7 km
Restaurant0,7 km
Huisarts1,2 km
Ziekenhuis10,1 km
Kinderdagverblijf0,8 km
BSO0,4 km
Alle voorzieningen in Uitbreidingsplan Hambroek

Binnenkijken bij Beukenlaan 77 te Borculo

Meer meldingen in deze omgeving

Nieuw bedrijf
December 2025
Eikenlaan 50, 7271HH Borculo

Binnenkijken bij
Vrijdag 26-12-2025
Beukenlaan 93, 7271JL Borculo

112 melding
Woensdag 17-12-2025 om 08:43
Eikenlaan, Borculo

Binnenkijken bij
Woensdag 3-12-2025
Lijsterbesstraat 51, 7271HL Borculo

Nieuw bedrijf
November 2025
Beukenlaan 24, 7271JH Borculo

Binnenkijken bij
Dinsdag 25-11-2025
Beukenlaan 117, 7271JM Borculo

Binnenkijken bij
Dinsdag 25-11-2025
Beukenlaan 22, 7271JH Borculo

Binnenkijken bij
Vrijdag 21-11-2025
Lijsterbesstraat 25, 7271HL Borculo

Direct een e-mail ontvangen bij nieuwe meldingen in deze regio?

Meld je dan GRATIS aan voor de Oozo Alert service voor Uitbreidingsplan Hambroek

Instellen

Meer nieuws in Uitbreidingsplan Hambroek

Weten hoe eenvoudig het is om af te vallen? Zonder pillen en smeersels en zonder je in het zweet te werken!
Kijk op eenvoudig-afvallen.nl

© 2012 - 2025 OOZO.nl - info@oozo.nl - Gegevens verwijderen? | Disclaimer | Privacy statement