Woning Hoogkamp 5 Eibergen

Hoogkamp 5, 7152GH Eibergen

Ontvang updates voor Eibergen-Centrum en -Oost

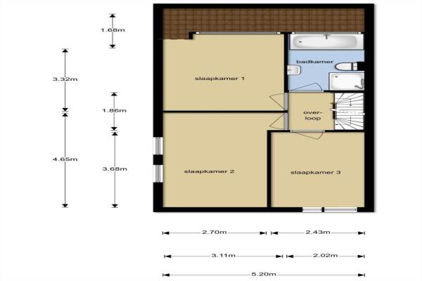
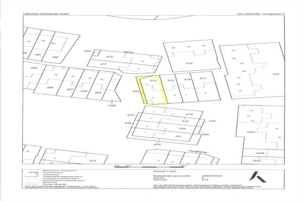
Het adres van deze woning uit 1978 is Hoogkamp 5 te Eibergen. Het pand heeft een oppervlakte van 118m² en een perceeloppervlakte van 187m² en heeft 5 kamers kamers waarvan 4 slaapkamers. De geschatte waarde van deze woning is € 188.500.

Bekijk alle woningen in Eibergen-Centrum en -Oost

Gegevens van Eengezinswoning, hoekwoning

Bouwjaar
1978
Geschatte waarde
€ 188.500
Oppervlakte
118 m2
Inhoud
350 m3
Aantal kamers
5 kamers
Slaapkamers
4
Badkamers
1 apart toilet
Soort bouw
Bestaande bouw
Eigendomssituatie
Volle eigendom
Ligging
In woonwijk
Tuin
Achtertuin
Achtertuin
76 m² (11m diep en 8,7m breed)

Voorzieningen in de buurt

Boodschappen0,6 km
Grote supermarkt0,6 km
Cafetaria0,6 km
Restaurant0,5 km
Huisarts0,7 km
Ziekenhuis0,7 km
Kinderdagverblijf0,6 km
BSO0,5 km
Alle voorzieningen in Eibergen-Centrum en -Oost

Binnenkijken bij Hoogkamp 5 te Eibergen

Meer meldingen in deze omgeving

Binnenkijken bij
Dinsdag 16-12-2025
Vogelenzangstraat 10, 7151VD Eibergen

Nieuw bedrijf
December 2025
Leusinkweg 4, 7152JN Eibergen

Nieuw bedrijf
December 2025
J.W. Hagemanstraat 46, 7151AH Eibergen

Binnenkijken bij
Zondag 7-12-2025
Hemstea 12, 7152BE Eibergen

112 melding
Vrijdag 5-12-2025 om 12:03
Hoogkamp, Eibergen

112 melding
Vrijdag 5-12-2025 om 11:48
Hoogkamp, Eibergen

Faillissement
Donderdag 4-12-2025
Brink 5, 7151CR Eibergen

112 melding
Vrijdag 21-11-2025 om 09:15
Kruiskamplaan, Eibergen

Direct een e-mail ontvangen bij nieuwe meldingen in deze regio?

Meld je dan GRATIS aan voor de Oozo Alert service voor Eibergen-Centrum en -Oost

Instellen

Meer nieuws in Eibergen-Centrum en -Oost

Weten hoe eenvoudig het is om af te vallen? Zonder pillen en smeersels en zonder je in het zweet te werken!
Kijk op eenvoudig-afvallen.nl

© 2012 - 2025 OOZO.nl - info@oozo.nl - Gegevens verwijderen? | Disclaimer | Privacy statement