Woning De Deel 62 Biddinghuizen

De Deel 62, 8256EH Biddinghuizen

Ontvang updates voor De Baan

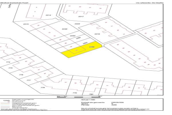
Het adres van deze woning uit 1980 is De Deel 62 te Biddinghuizen. Het pand heeft een oppervlakte van 95m² en een perceeloppervlakte van 199m² en heeft 4 kamers kamers waarvan 3 slaapkamers. De geschatte waarde van deze woning is € 155.000.

Bekijk alle woningen in De Baan

Gegevens van Eengezinswoning, hoekwoning

Bouwjaar
1980
Geschatte waarde
€ 155.000
Oppervlakte
95 m2
Inhoud
300 m3
Aantal kamers
4 kamers
Slaapkamers
3
Soort bouw
Bestaande bouw
Eigendomssituatie
Volle eigendom
Ligging
In woonwijk en vrij uitzicht
Tuin
Achtertuin en voortuin
Achtertuin
80 m² (10m diep en 8m breed)

Voorzieningen in de buurt

Boodschappen0,6 km
Grote supermarkt0,6 km
Cafetaria0,6 km
Restaurant0,6 km
Huisarts1,0 km
Ziekenhuis12,3 km
Kinderdagverblijf0,7 km
BSO0,9 km
Alle voorzieningen in De Baan

Binnenkijken bij De Deel 62 te Biddinghuizen

Meer meldingen in deze omgeving

Nieuw bedrijf
Februari 2026
De Deel 44, 8256EH Biddinghuizen

112 melding
Woensdag 4-2-2026 om 19:28
De Deel, Biddinghuizen

112 melding
Maandag 19-1-2026 om 10:19
De Sjees, Biddinghuizen

Binnenkijken bij
Zaterdag 17-1-2026
Het Erf 120, 8256DH Biddinghuizen

Nieuw bedrijf
Januari 2026
De Huifkar 15, 8256DZ Biddinghuizen

Binnenkijken bij
Zondag 7-12-2025
De Teugel 1, 8256DA Biddinghuizen

Binnenkijken bij
Zaterdag 6-12-2025
De Zaaiviool 5, 8256ET Biddinghuizen

Binnenkijken bij
Dinsdag 25-11-2025
Het Erf 145, 8256DB Biddinghuizen

Direct een e-mail ontvangen bij nieuwe meldingen in deze regio?

Meld je dan GRATIS aan voor de Oozo Alert service voor De Baan

Instellen

Meer nieuws in De Baan

Weten hoe eenvoudig het is om af te vallen? Zonder pillen en smeersels en zonder je in het zweet te werken!
Kijk op eenvoudig-afvallen.nl

© 2012 - 2026 OOZO.nl - info@oozo.nl - Gegevens verwijderen? | Disclaimer | Privacy statement