Woning Springendalhoek 7 Enschede

Springendalhoek 7, 7546GS Enschede

Ontvang updates voor Helmerhoek-Zuid

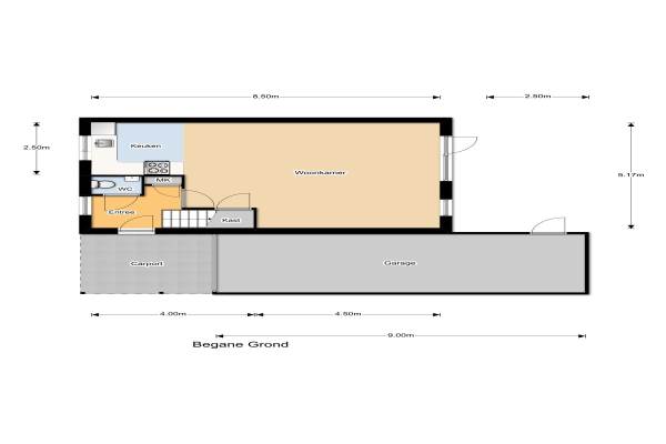
Het adres van deze woning uit 1986 is Springendalhoek 7 te Enschede. Het pand heeft een oppervlakte van 110m² en een perceeloppervlakte van 240m² en heeft 5 kamers kamers waarvan 4 slaapkamers. De geschatte waarde van deze woning is € 225.000.

Bekijk alle woningen in Helmerhoek-Zuid

Gegevens van Eengezinswoning, 2-onder-1-kapwoning

Bouwjaar
1986
Geschatte waarde
€ 225.000
Oppervlakte
110 m2
Inhoud
410 m3
Aantal kamers
5 kamers
Slaapkamers
4
Badkamers
1 badkamer en 1 apart toilet
Soort bouw
Bestaande bouw
Eigendomssituatie
Volle eigendom
Ligging
Aan rustige weg en in woonwijk
Tuin
Achtertuin en voortuin
Achtertuin
135 m² (15m diep en 9m breed)

Voorzieningen in de buurt

Boodschappen0,7 km
Grote supermarkt0,7 km
Cafetaria0,7 km
Restaurant0,7 km
Huisarts0,7 km
Ziekenhuis4,7 km
Kinderdagverblijf1,1 km
BSO0,7 km
Alle voorzieningen in Helmerhoek-Zuid

Binnenkijken bij Springendalhoek 7 te Enschede

Meer meldingen in deze omgeving

Binnenkijken bij
Dinsdag 11-11-2025
Huttensmidhoek 2, 7546AW Enschede

Binnenkijken bij
Dinsdag 11-11-2025
Sladenhuishoek 1, 7546GH Enschede

Binnenkijken bij
Woensdag 29-10-2025
Bögelskamphoek 141, 7546DJ Enschede

Binnenkijken bij
Woensdag 29-10-2025
Campelhofhoek 5, 7546BN Enschede

Binnenkijken bij
Woensdag 29-10-2025
Muldermanshoek 4, 7546BT Enschede

Nieuw bedrijf
Oktober 2025
Boskamphoek 42, 7546DX Enschede

Nieuw bedrijf
Oktober 2025
Oorthuishoek 7, 7546BX Enschede

Binnenkijken bij
Zondag 19-10-2025
Peckedamhoek 28, 7546CZ Enschede

Direct een e-mail ontvangen bij nieuwe meldingen in deze regio?

Meld je dan GRATIS aan voor de Oozo Alert service voor Helmerhoek-Zuid

Instellen

Meer nieuws in Helmerhoek-Zuid

Weten hoe eenvoudig het is om af te vallen? Zonder pillen en smeersels en zonder je in het zweet te werken!
Kijk op eenvoudig-afvallen.nl

© 2012 - 2025 OOZO.nl - info@oozo.nl - Gegevens verwijderen? | Disclaimer | Privacy statement