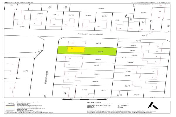
Woning Willem van Oranjestraat 12 Drunen

Willem van Oranjestraat 12, 5151VP Drunen

Ontvang updates voor Braken-Oost

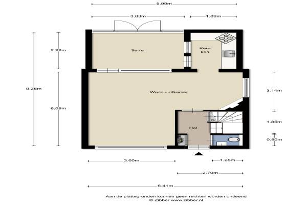
Het adres van deze woning uit 1960 is Willem van Oranjestraat 12 te Drunen. Het pand heeft een oppervlakte van 115m² en een perceeloppervlakte van 313m² en heeft 5 kamers kamers waarvan 4 slaapkamers. De geschatte waarde van deze woning is € 299.000.

Bekijk alle woningen in Braken-Oost

Gegevens van Eengezinswoning, 2-onder-1-kapwoning

Bouwjaar
1960
Geschatte waarde
€ 299.000
Oppervlakte
115 m2
Inhoud
360 m3
Aantal kamers
5 kamers
Slaapkamers
4
Badkamers
1 badkamer
Soort bouw
Bestaande bouw
Eigendomssituatie
Volle eigendom
Ligging
Aan rustige weg en in woonwijk
Tuin
Achtertuin en voortuin
Achtertuin
153 m² (17m diep en 9m breed)

Voorzieningen in de buurt

Boodschappen0,7 km
Grote supermarkt0,7 km
Cafetaria0,7 km
Restaurant0,7 km
Huisarts0,6 km
Ziekenhuis0,8 km
Kinderdagverblijf0,5 km
BSO0,7 km
Alle voorzieningen in Braken-Oost

Binnenkijken bij Willem van Oranjestraat 12 te Drunen

Meer meldingen in deze omgeving

Nieuw bedrijf
December 2025
Prins Hendrikstraat 15, 5151GA Drunen

Nieuw bedrijf
December 2025
Henk Romeijnstraat 5, 5151GN Drunen

Nieuw bedrijf
December 2025
Prins Bernhardstraat 22, 5151VB Drunen

Binnenkijken bij
Donderdag 4-12-2025
Stationsstraat 86, 5151HC Drunen

Nieuw bedrijf
December 2025
Stationsstraat 62, 5151HC Drunen

Binnenkijken bij
Dinsdag 2-12-2025
Leliestraat 3, 5151TP Drunen

Binnenkijken bij
Dinsdag 2-12-2025
Freesiastraat 10, 5151TS Drunen

Nieuw bedrijf
December 2025
Anjerstraat 22, 5151GC Drunen

Direct een e-mail ontvangen bij nieuwe meldingen in deze regio?

Meld je dan GRATIS aan voor de Oozo Alert service voor Braken-Oost

Instellen

Meer nieuws in Braken-Oost

Weten hoe eenvoudig het is om af te vallen? Zonder pillen en smeersels en zonder je in het zweet te werken!
Kijk op eenvoudig-afvallen.nl

© 2012 - 2025 OOZO.nl - info@oozo.nl - Gegevens verwijderen? | Disclaimer | Privacy statement