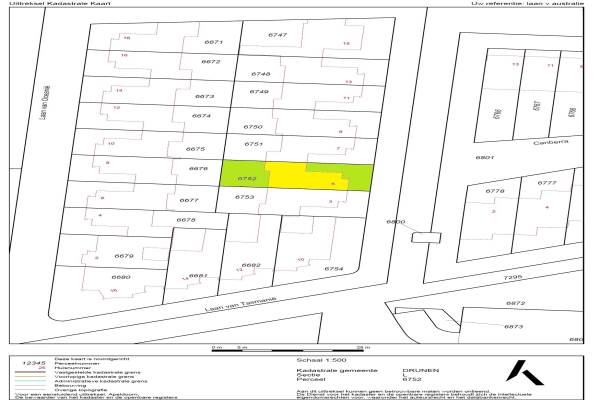
Woning Laan van Australië 5 Drunen

Laan van Australië 5 , 5152GL Drunen

Ontvang updates voor Venne-West

Het adres van deze woning uit 2009 is Laan van Australië 5 te Drunen. Het pand heeft een oppervlakte van 142m² en een perceeloppervlakte van 223m² en heeft 5 kamers kamers waarvan 4 slaapkamers. De geschatte waarde van deze woning is € 389.000.

Bekijk alle woningen in Venne-West

Gegevens van Eengezinswoning, 2-onder-1-kapwoning

Bouwjaar
2009
Geschatte waarde
€ 389.000
Oppervlakte
142 m2
Inhoud
575 m3
Aantal kamers
5 kamers
Slaapkamers
4
Badkamers
1 apart toilet
Soort bouw
Bestaande bouw
Ligging
In woonwijk
Tuin
Achtertuin en voortuin

Voorzieningen in de buurt

Boodschappen0,8 km
Grote supermarkt0,8 km
Cafetaria0,9 km
Restaurant1,1 km
Huisarts1,2 km
Ziekenhuis2,3 km
Kinderdagverblijf0,6 km
BSO0,5 km
Alle voorzieningen in Venne-West

Binnenkijken bij Laan van Australië 5 te Drunen

Meer meldingen in deze omgeving

Nieuw bedrijf
November 2025
De Ganges 6, 5152VG Drunen

Binnenkijken bij
Vrijdag 21-11-2025
Afrikalaan 68, 5152MD Drunen

Binnenkijken bij
Vrijdag 21-11-2025
Donauring 202, 5152TL Drunen

Nieuw bedrijf
November 2025
Amerikalaan 22, 5152LR Drunen

112 melding
Zondag 16-11-2025 om 16:03
Overlaatweg, 5151AD Drunen

Nieuw bedrijf
November 2025
Finlandplantsoen 131, 5152PL Drunen

Binnenkijken bij
Dinsdag 11-11-2025
Kleinestraat 41, 5151AC Drunen

Binnenkijken bij
Dinsdag 11-11-2025
Europalaan 27, 5152NE Drunen

Direct een e-mail ontvangen bij nieuwe meldingen in deze regio?

Meld je dan GRATIS aan voor de Oozo Alert service voor Venne-West

Instellen

Meer nieuws in Venne-West

Weten hoe eenvoudig het is om af te vallen? Zonder pillen en smeersels en zonder je in het zweet te werken!
Kijk op eenvoudig-afvallen.nl

© 2012 - 2025 OOZO.nl - info@oozo.nl - Gegevens verwijderen? | Disclaimer | Privacy statement