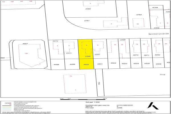
Woning Sportterreinstraat 6 Hoogezand

Sportterreinstraat 6, 9602ED Hoogezand

Ontvang updates voor Gorecht-Noord

Het adres van deze woning uit 1939 is Sportterreinstraat 6 te Hoogezand. Het pand heeft een oppervlakte van 95m² en een perceeloppervlakte van 284m² en heeft 4 kamers kamers waarvan 3 slaapkamers. De geschatte waarde van deze woning is € 149.500.

Bekijk alle woningen in Gorecht-Noord

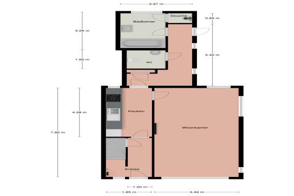
Gegevens van Eengezinswoning, 2-onder-1-kapwoning

Bouwjaar
1939
Geschatte waarde
€ 149.500
Oppervlakte
95 m2
Inhoud
275 m3
Aantal kamers
4 kamers
Slaapkamers
3
Badkamers
1 badkamer en 1 apart toilet
Soort bouw
Bestaande bouw
Eigendomssituatie
Volle eigendom
Ligging
Aan rustige weg en in woonwijk
Tuin
Achtertuin, voortuin en zijtuin
Achtertuin
140 m² (17,5m diep en 8m breed)

Voorzieningen in de buurt

Binnenkijken bij Sportterreinstraat 6 te Hoogezand

Meer meldingen in deze omgeving

112 melding
Woensdag 24-12-2025 om 23:30
Donker Curtiusstraat, Hoogezand

Nieuw bedrijf
December 2025
Mansholtstraat 85, 9602SC Hoogezand

112 melding
Dinsdag 25-11-2025 om 15:17
Mansholtstraat, Hoogezand

Binnenkijken bij
Zaterdag 15-11-2025
Sportterreinstraat 12, 9602ED Hoogezand

Binnenkijken bij
Woensdag 29-10-2025
Sportterreinstraat 45, 9602EA Hoogezand

112 melding
Dinsdag 21-10-2025 om 19:57
Mansholtstraat, Hoogezand

Binnenkijken bij
Donderdag 16-10-2025
Mansholtstraat 55, 9602SC Hoogezand

Nieuw bedrijf
Oktober 2025
Sportterreinstraat 16, 9602ED Hoogezand

Direct een e-mail ontvangen bij nieuwe meldingen in deze regio?

Meld je dan GRATIS aan voor de Oozo Alert service voor Gorecht-Noord

Instellen

Meer nieuws in Gorecht-Noord

Weten hoe eenvoudig het is om af te vallen? Zonder pillen en smeersels en zonder je in het zweet te werken!
Kijk op eenvoudig-afvallen.nl

© 2012 - 2025 OOZO.nl - info@oozo.nl - Gegevens verwijderen? | Disclaimer | Privacy statement