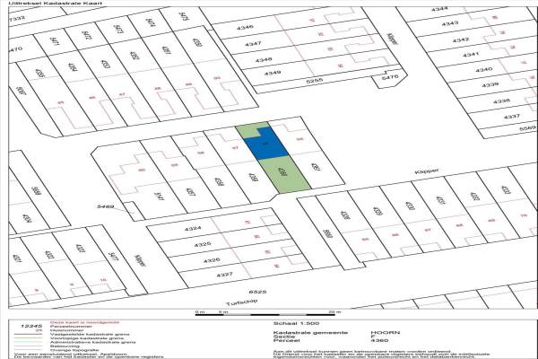
Woning Klipper 56 Hoorn Nh

Klipper 56, 1625EL Hoorn Nh

Ontvang updates voor Risdam-Zuid - Buurt 20 06

Het adres van deze woning uit 1976 is Klipper 56 te Hoorn Nh. Het pand heeft een oppervlakte van 110m² en een perceeloppervlakte van 162m² en heeft 5 kamers kamers waarvan 4 slaapkamers. De geschatte waarde van deze woning is € 189.500.

Bekijk alle woningen in Risdam-Zuid - Buurt 20 06

Gegevens van Eengezinswoning, tussenwoning

Bouwjaar
1976
Geschatte waarde
€ 189.500
Oppervlakte
110 m2
Inhoud
325 m3
Aantal kamers
5 kamers
Slaapkamers
4
Soort bouw
Bestaande bouw
Eigendomssituatie
Volle eigendom
Tuin
Achtertuin en voortuin
Achtertuin
66 m² (12m diep en 5,5m breed)

Voorzieningen in de buurt

Boodschappen1,1 km
Grote supermarkt0,9 km
Cafetaria1,0 km
Restaurant0,8 km
Huisarts1,0 km
Ziekenhuis2,3 km
Kinderdagverblijf0,8 km
BSO0,4 km
Alle voorzieningen in Risdam-Zuid - Buurt 20 06

Binnenkijken bij Klipper 56 te Hoorn Nh

Meer meldingen in deze omgeving

112 melding
Maandag 8-12-2025 om 09:40
Boeier, 1625CK Hoorn

Nieuw bedrijf
December 2025
Schoener 57, 1625CW Hoorn

Binnenkijken bij
Vrijdag 5-12-2025
Koopvaarder 310, 1625BZ Hoorn (NH)

112 melding
Donderdag 4-12-2025 om 22:32
Schoener, Hoorn

112 melding
Donderdag 4-12-2025 om 20:27
Koopvaarder, 1625BZ Hoorn

112 melding
Donderdag 4-12-2025 om 07:38
Karveel, Hoorn

Binnenkijken bij
Donderdag 4-12-2025
Karveel 60, 1625ES Hoorn (NH)

Nieuw bedrijf
December 2025
Hoeker 13, 1625CA Hoorn

Direct een e-mail ontvangen bij nieuwe meldingen in deze regio?

Meld je dan GRATIS aan voor de Oozo Alert service voor Risdam-Zuid - Buurt 20 06

Instellen

Meer nieuws in Risdam-Zuid - Buurt 20 06

Weten hoe eenvoudig het is om af te vallen? Zonder pillen en smeersels en zonder je in het zweet te werken!
Kijk op eenvoudig-afvallen.nl

© 2012 - 2025 OOZO.nl - info@oozo.nl - Gegevens verwijderen? | Disclaimer | Privacy statement