Woning Molenstraat 52 Clinge

Molenstraat 52, 4567BE Clinge

Ontvang updates voor Kern Clinge

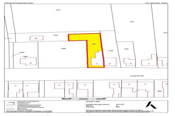
Het adres van deze woning uit 1951 is Molenstraat 52 te Clinge. Het pand heeft een oppervlakte van 98m² en een perceeloppervlakte van 448m² en heeft 4 kamers kamers waarvan 3 slaapkamers. De geschatte waarde van deze woning is € 179.500.

Bekijk alle woningen in Kern Clinge

Gegevens van Eengezinswoning, 2-onder-1-kapwoning

Bouwjaar
1951
Geschatte waarde
€ 179.500
Oppervlakte
98 m2
Inhoud
305 m3
Aantal kamers
4 kamers
Slaapkamers
3
Badkamers
1 badkamer en 1 apart toilet
Soort bouw
Bestaande bouw
Eigendomssituatie
Volle eigendom
Tuin
Achtertuin, voortuin en zijtuin
Achtertuin
248 m² (33m diep en 7,5m breed)

Voorzieningen in de buurt

Binnenkijken bij Molenstraat 52 te Clinge

Meer meldingen in deze omgeving

112 melding
Maandag 1-12-2025 om 15:47
's-Gravenstraat, 4567AM Clinge

112 melding
Vrijdag 28-11-2025 om 09:46
's-Gravenstraat, 4567AK Clinge

112 melding
Vrijdag 28-11-2025 om 09:46
's-Gravenstraat, 4567AK Clinge

Nieuw bedrijf
November 2025
's-Gravenstraat 140, 4567AM Clinge

112 melding
Woensdag 26-11-2025 om 09:00
Frans Halsstraat, 4567CX Clinge

112 melding
Maandag 24-11-2025 om 18:54
Frans Halsstraat, 4567CX Clinge

112 melding
Maandag 24-11-2025 om 18:51
's-Gravenstraat, 4567AN Clinge

112 melding
Maandag 24-11-2025 om 14:45
's-Gravenstraat, 4567AM Clinge

Direct een e-mail ontvangen bij nieuwe meldingen in deze regio?

Meld je dan GRATIS aan voor de Oozo Alert service voor Kern Clinge

Instellen

Meer nieuws in Kern Clinge

Weten hoe eenvoudig het is om af te vallen? Zonder pillen en smeersels en zonder je in het zweet te werken!
Kijk op eenvoudig-afvallen.nl

© 2012 - 2025 OOZO.nl - info@oozo.nl - Gegevens verwijderen? | Disclaimer | Privacy statement