Woning Burgemeester de Voslaan 5 Berkhout

Burgemeester de Voslaan 5, 1647BJ Berkhout

Ontvang updates voor Berkhout

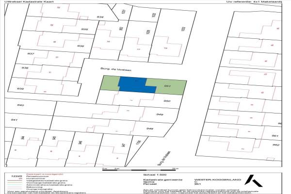
Het adres van deze woning uit 1974 is Burgemeester de Voslaan 5 te Berkhout. Het pand heeft een oppervlakte van 110m² en een perceeloppervlakte van 289m² en heeft 5 kamers kamers waarvan 3 slaapkamers. De geschatte waarde van deze woning is € 269.500.

Bekijk alle woningen in Berkhout

Gegevens van Eengezinswoning, geschakelde woning

Bouwjaar
1974
Geschatte waarde
€ 269.500
Oppervlakte
110 m2
Inhoud
330 m3
Aantal kamers
5 kamers
Slaapkamers
3
Soort bouw
Bestaande bouw
Eigendomssituatie
Volle eigendom
Ligging
Aan rustige weg en beschutte ligging
Tuin
Achtertuin en voortuin
Achtertuin
154 m² (14m diep en 11m breed)

Voorzieningen in de buurt

Binnenkijken bij Burgemeester de Voslaan 5 te Berkhout

Meer meldingen in deze omgeving

Onroerend goed
Donderdag 9-10-2025
Schoffel 20-A 14, 1648GG De Goorn

Nieuw bedrijf
Oktober 2025
Slimtocht 1, 1647BS Berkhout

112 melding
Woensdag 8-10-2025 om 01:40
Kleine Wijzend, 1647DT Berkhout

112 melding
Woensdag 8-10-2025 om 01:40
Kleine Wijzend, 1647DT Berkhout

112 melding
Maandag 6-10-2025 om 17:49
Willem Claijstraat, Berkhout

112 melding
Zondag 5-10-2025 om 10:00
Lijsbeth Tijsweg, Berkhout

112 melding
Zaterdag 4-10-2025 om 19:08
Slagterslaan, Berkhout

112 melding
Vrijdag 3-10-2025 om 21:16
Lijsbeth Tijsweg, 1647LE Berkhout

Direct een e-mail ontvangen bij nieuwe meldingen in deze regio?

Meld je dan GRATIS aan voor de Oozo Alert service voor Berkhout

Instellen

Meer nieuws in Berkhout

Weten hoe eenvoudig het is om af te vallen? Zonder pillen en smeersels en zonder je in het zweet te werken!
Kijk op eenvoudig-afvallen.nl

© 2012 - 2025 OOZO.nl - info@oozo.nl - Gegevens verwijderen? | Disclaimer | Privacy statement