Woning Noordsingel 94 Middelburg

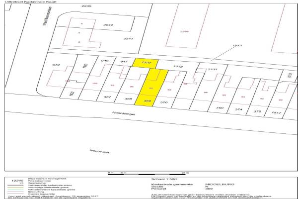
Noordsingel 94, 4333AC Middelburg

Ontvang updates voor Klarenbeek

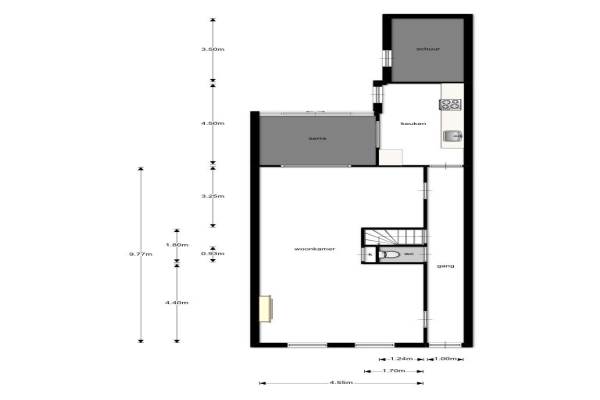
Het adres van deze woning uit 1903 is Noordsingel 94 te Middelburg. Het pand heeft een oppervlakte van 110m² en een perceeloppervlakte van 201m² en heeft 4 kamers kamers waarvan 3 slaapkamers. De geschatte waarde van deze woning is € 289.000.

Bekijk alle woningen in Klarenbeek

Gegevens van Eengezinswoning, tussenwoning

Bouwjaar
1903
Geschatte waarde
€ 289.000
Oppervlakte
110 m2
Inhoud
350 m3
Aantal kamers
4 kamers
Slaapkamers
3
Badkamers
1 badkamer en 1 apart toilet
Soort bouw
Bestaande bouw
Eigendomssituatie
Volle eigendom
Ligging
Aan water en vrij uitzicht
Tuin
Achtertuin en voortuin
Achtertuin
90 m² (12m diep en 7,5m breed)

Voorzieningen in de buurt

Boodschappen0,6 km
Grote supermarkt0,6 km
Cafetaria0,9 km
Restaurant1,0 km
Huisarts1,0 km
Ziekenhuis1,8 km
Kinderdagverblijf0,5 km
BSO0,5 km
Alle voorzieningen in Klarenbeek

Binnenkijken bij Noordsingel 94 te Middelburg

Meer meldingen in deze omgeving

Nieuw bedrijf
November 2025
Sprencklaan 1, 4333HC Middelburg

112 melding
Zondag 16-11-2025 om 09:09
Hannie Schaftstraat, Middelburg

Nieuw bedrijf
November 2025
Nadorstweg 8D, 4333AM Middelburg

Nieuw bedrijf
November 2025
Jacob Roggeveenhof 2, 4333AZ Middelburg

Nieuw bedrijf
November 2025
Seislaan 2, 4333GX Middelburg

112 melding
Zaterdag 8-11-2025 om 15:03
President Rooseveltlaan, 4333SC Middelburg

Nieuw bedrijf
Oktober 2025
Jacob Roggeveenhof 64, 4333AZ Middelburg

112 melding
Dinsdag 28-10-2025 om 17:17
Generaal Eisenhowerlaan, Middelburg

Direct een e-mail ontvangen bij nieuwe meldingen in deze regio?

Meld je dan GRATIS aan voor de Oozo Alert service voor Klarenbeek

Instellen

Meer nieuws in Klarenbeek

Weten hoe eenvoudig het is om af te vallen? Zonder pillen en smeersels en zonder je in het zweet te werken!
Kijk op eenvoudig-afvallen.nl

© 2012 - 2025 OOZO.nl - info@oozo.nl - Gegevens verwijderen? | Disclaimer | Privacy statement