Woning Schaepmanstraat 5 Braamt

Schaepmanstraat 5, 7047AG Braamt

Ontvang updates voor Braamt

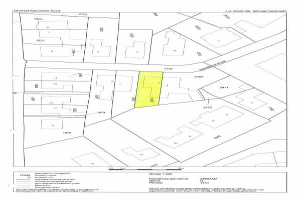
Het adres van deze woning uit 1960 is Schaepmanstraat 5 te Braamt. Het pand heeft een oppervlakte van 96m² en een perceeloppervlakte van 210m² en heeft 4 kamers kamers waarvan 3 slaapkamers. De geschatte waarde van deze woning is € 168.000.

Bekijk alle woningen in Braamt

Gegevens van Eengezinswoning, 2-onder-1-kapwoning

Bouwjaar
1960
Geschatte waarde
€ 168.000
Oppervlakte
96 m2
Inhoud
415 m3
Aantal kamers
4 kamers
Slaapkamers
3
Soort bouw
Bestaande bouw
Eigendomssituatie
Volle eigendom
Ligging
Aan rustige weg, in centrum en in bosrijke omgeving
Tuin
Achtertuin, voortuin en zijtuin
Achtertuin
M² (0,1m diep en 0,08m breed)

Voorzieningen in de buurt

Boodschappen1,1 km
Grote supermarkt2,9 km
Cafetaria2,8 km
Restaurant0,3 km
Huisarts3,0 km
Ziekenhuis5,2 km
Kinderdagverblijf0,3 km
BSO4,1 km
Alle voorzieningen in Braamt

Binnenkijken bij Schaepmanstraat 5 te Braamt

Meer meldingen in deze omgeving

Binnenlands nieuws
Dinsdag 25-11-2025
Braamt

Binnenkijken bij
Vrijdag 21-11-2025
De Wilgen 12, 7047AX Braamt

Binnenlands nieuws
Donderdag 20-11-2025
Braamt

Nieuw bedrijf
November 2025
Koornmaat 21, 7047BC Braamt

Binnenkijken bij
Dinsdag 11-11-2025
Langestraat 20A, 7047AP Braamt

Nieuw bedrijf
Oktober 2025
Hof van Braamt 6, 7047BD Braamt

Nieuw bedrijf
Oktober 2025
Graaf Hendrikstraat 1, 7047AD Braamt

Binnenkijken bij
Donderdag 9-10-2025
Graaf Hendrikstraat 20, 7047AE Braamt

Direct een e-mail ontvangen bij nieuwe meldingen in deze regio?

Meld je dan GRATIS aan voor de Oozo Alert service voor Braamt

Instellen

Meer nieuws in Braamt

Weten hoe eenvoudig het is om af te vallen? Zonder pillen en smeersels en zonder je in het zweet te werken!
Kijk op eenvoudig-afvallen.nl

© 2012 - 2025 OOZO.nl - info@oozo.nl - Gegevens verwijderen? | Disclaimer | Privacy statement