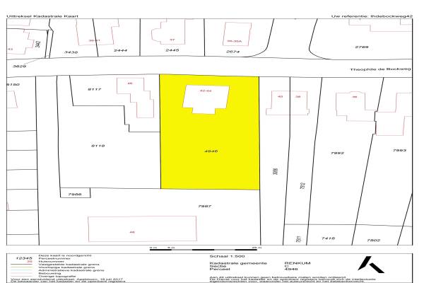
Woning Theophile de Bockweg 4244 Renkum

Theophile de Bockweg 42-44, 6871EJ Renkum

Ontvang updates voor Gelria

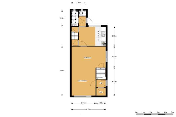
Het adres van deze woning uit 1913 is Theophile de Bockweg 4244 te Renkum. Het pand heeft een oppervlakte van 200m² en een perceeloppervlakte van 1362m² en heeft 6 kamers kamers waarvan 4 slaapkamers. De geschatte waarde van deze woning is € 350.000.

Bekijk alle woningen in Gelria

Gegevens van Eengezinswoning, vrijstaande woning

Bouwjaar
1913
Geschatte waarde
€ 350.000
Oppervlakte
200 m2
Inhoud
670 m3
Aantal kamers
6 kamers
Slaapkamers
4
Badkamers
2 badkamers en 1 apart toilet
Soort bouw
Bestaande bouw
Eigendomssituatie
Volle eigendom
Ligging
Aan rustige weg
Tuin
Achtertuin, voortuin en zijtuin
Achtertuin
836 m² (38m diep en 22m breed)

Voorzieningen in de buurt

Boodschappen0,9 km
Grote supermarkt1,0 km
Cafetaria0,4 km
Restaurant0,8 km
Huisarts0,8 km
Ziekenhuis6,1 km
Kinderdagverblijf0,5 km
BSO0,5 km
Alle voorzieningen in Gelria

Binnenkijken bij Theophile de Bockweg 4244 te Renkum

Meer meldingen in deze omgeving

112 melding
Dinsdag 7-10-2025 om 14:43
Voortstreven, 6871DT Renkum

112 melding
Dinsdag 7-10-2025 om 10:09
Lindelaan, Renkum

112 melding
Maandag 6-10-2025 om 12:41
Lindelaan, Renkum

Binnenkijken bij
Woensdag 1-10-2025
Antoon Markusstraat 9, 6871JA Renkum

112 melding
Dinsdag 30-9-2025 om 14:32
Kuypersweg, Renkum

112 melding
Vrijdag 26-9-2025 om 10:55
Bram Streeflandweg, 6871HT Renkum

112 melding
Vrijdag 26-9-2025 om 10:55
Bram Streeflandweg, 6871HT Renkum

112 melding
Donderdag 25-9-2025 om 10:19
Theophile de Bockweg, 6871EJ Renkum

Direct een e-mail ontvangen bij nieuwe meldingen in deze regio?

Meld je dan GRATIS aan voor de Oozo Alert service voor Gelria

Instellen

Meer nieuws in Gelria

Weten hoe eenvoudig het is om af te vallen? Zonder pillen en smeersels en zonder je in het zweet te werken!
Kijk op eenvoudig-afvallen.nl

© 2012 - 2025 OOZO.nl - info@oozo.nl - Gegevens verwijderen? | Disclaimer | Privacy statement