Woning Ringoven 10 Tolkamer

Ringoven 10, 6916LB Tolkamer

Ontvang updates voor Tolkamer

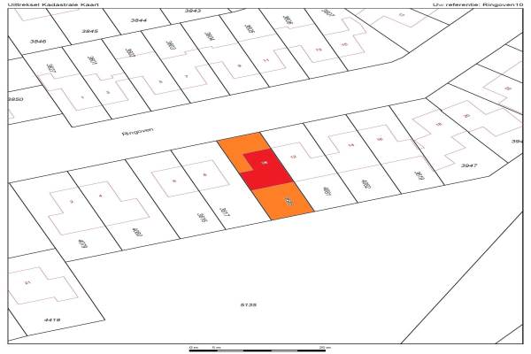
Het adres van deze woning uit 1992 is Ringoven 10 te Tolkamer. Het pand heeft een oppervlakte van 102m² en een perceeloppervlakte van 249m² en heeft 4 kamers kamers waarvan 3 slaapkamers. De geschatte waarde van deze woning is € 220.000.

Bekijk alle woningen in Tolkamer

Gegevens van Eengezinswoning, geschakelde 2-onder-1-kapwoning

Bouwjaar
1992
Geschatte waarde
€ 220.000
Oppervlakte
102 m2
Inhoud
439 m3
Aantal kamers
4 kamers
Slaapkamers
3
Badkamers
1 apart toilet
Soort bouw
Bestaande bouw
Eigendomssituatie
Volle eigendom
Tuin
Achtertuin en voortuin
Achtertuin
89 m² (10,5m diep en 8,5m breed)

Voorzieningen in de buurt

Binnenkijken bij Ringoven 10 te Tolkamer

Meer meldingen in deze omgeving

112 melding
Vrijdag 1-5-2026 om 12:00
Binnenweg, Tolkamer

112 melding
Woensdag 29-4-2026 om 16:35
Boterdijk, 6916BX Tolkamer

112 melding
Woensdag 29-4-2026 om 13:36
de Vaargeul, 6916DD Tolkamer

112 melding
Woensdag 29-4-2026 om 11:48
Hoofdstraat, 6916 Tolkamer

112 melding
Dinsdag 28-4-2026 om 14:44
Vierkenshof & 's-Gravenwaard, 6916 Tolkamer

112 melding
Dinsdag 28-4-2026 om 12:45
Tolstraat, Tolkamer

112 melding
Zondag 26-4-2026 om 12:40
Boterdijk, 6916BX Tolkamer

112 melding
Zondag 26-4-2026 om 12:40
Boterdijk, 6916BX Tolkamer

Direct een e-mail ontvangen bij nieuwe meldingen in deze regio?

Meld je dan GRATIS aan voor de Oozo Alert service voor Tolkamer

Instellen

Meer nieuws in Tolkamer

Weten hoe eenvoudig het is om af te vallen? Zonder pillen en smeersels en zonder je in het zweet te werken!
Kijk op eenvoudig-afvallen.nl

© 2012 - 2026 OOZO.nl - info@oozo.nl - Gegevens verwijderen? | Disclaimer | Privacy statement