Woning Annapark 17 Rosmalen

Annapark 17, 5246AN Rosmalen

Ontvang updates voor Hintham-Zuid

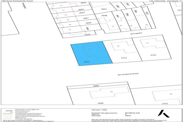
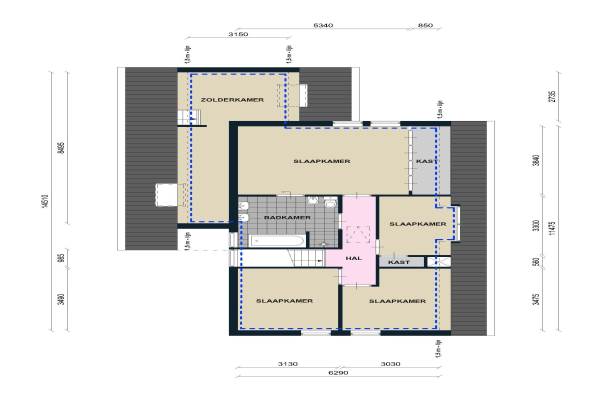
Het adres van deze woning uit 1983 is Annapark 17 te Rosmalen. Het pand heeft een oppervlakte van 214m² en een perceeloppervlakte van 433m² en heeft 8 kamers kamers waarvan 5 slaapkamers. De geschatte waarde van deze woning is € 610.000.

Bekijk alle woningen in Hintham-Zuid

Gegevens van Villa, vrijstaande woning

Bouwjaar
1983
Geschatte waarde
€ 610.000
Oppervlakte
214 m2
Inhoud
775 m3
Aantal kamers
8 kamers
Slaapkamers
5
Badkamers
1 badkamer en 1 apart toilet
Soort bouw
Bestaande bouw
Eigendomssituatie
Volle eigendom
Ligging
Aan park, in woonwijk en vrij uitzicht
Tuin
Achtertuin en zijtuin
Achtertuin
236 m² (17,5m diep en 24,5m breed)

Voorzieningen in de buurt

Boodschappen0,6 km
Grote supermarkt0,5 km
Cafetaria0,5 km
Restaurant0,7 km
Huisarts0,5 km
Ziekenhuis3,9 km
Kinderdagverblijf0,4 km
BSO0,5 km
Alle voorzieningen in Hintham-Zuid

Binnenkijken bij Annapark 17 te Rosmalen

Meer meldingen in deze omgeving

Nieuw bedrijf
December 2025
Fort Prins Willem 48, 5246BB Rosmalen

Nieuw bedrijf
December 2025
Jan Heijmanslaan 1B, 5246BH Rosmalen

Nieuw bedrijf
December 2025
Ernst Bagelaarstraat 11, 5246VM ROSMALEN

Binnenkijken bij
Donderdag 11-12-2025
Joseph Knipstraat 25, 5246EG Rosmalen

Nieuw bedrijf
December 2025
Pastoor van Thiellaan 58, 5246BS Rosmalen

112 melding
Maandag 8-12-2025 om 19:54
Herman Moerkerklaan, Rosmalen

112 melding
Zondag 7-12-2025 om 14:17
De Engstoep, 5246BD Rosmalen

Binnenkijken bij
Zondag 7-12-2025
Jan Heijmanslaan 17, 5246BH Rosmalen

Direct een e-mail ontvangen bij nieuwe meldingen in deze regio?

Meld je dan GRATIS aan voor de Oozo Alert service voor Hintham-Zuid

Instellen

Meer nieuws in Hintham-Zuid

Weten hoe eenvoudig het is om af te vallen? Zonder pillen en smeersels en zonder je in het zweet te werken!
Kijk op eenvoudig-afvallen.nl

© 2012 - 2025 OOZO.nl - info@oozo.nl - Gegevens verwijderen? | Disclaimer | Privacy statement