Woning Emanuel van der Venstraat 1 Rosmalen

Emanuel van der Venstraat 1, 5246CS Rosmalen

Ontvang updates voor Hintham-Zuid

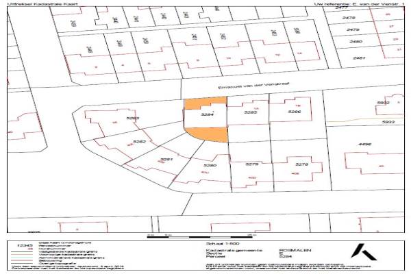
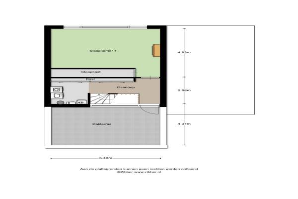
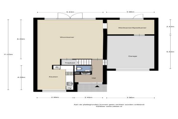
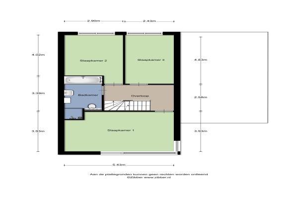
Het adres van deze woning uit 2003 is Emanuel van der Venstraat 1 te Rosmalen. Het pand heeft een oppervlakte van 170m² en een perceeloppervlakte van 215m² en heeft 6 kamers kamers waarvan 4 slaapkamers. De geschatte waarde van deze woning is € 450.000.

Bekijk alle woningen in Hintham-Zuid

Gegevens van Eengezinswoning, geschakelde woning

Bouwjaar
2003
Geschatte waarde
€ 450.000
Oppervlakte
170 m2
Inhoud
475 m3
Aantal kamers
6 kamers
Slaapkamers
4
Badkamers
1 badkamer en 1 apart toilet
Soort bouw
Bestaande bouw
Eigendomssituatie
Volle eigendom
Ligging
Aan rustige weg, in woonwijk en beschutte ligging
Tuin
Achtertuin en voortuin
Achtertuin
70 m² (7m diep en 10m breed)

Voorzieningen in de buurt

Boodschappen0,6 km
Grote supermarkt0,5 km
Cafetaria0,5 km
Restaurant0,7 km
Huisarts0,5 km
Ziekenhuis3,9 km
Kinderdagverblijf0,4 km
BSO0,5 km
Alle voorzieningen in Hintham-Zuid

Binnenkijken bij Emanuel van der Venstraat 1 te Rosmalen

Meer meldingen in deze omgeving

Binnenkijken bij
Maandag 23-3-2026
Pastoor van Thiellaan 45, 5246BN Rosmalen

Binnenkijken bij
Woensdag 18-3-2026
Christoffel Wüststraat 18, 5246GW Rosmalen

112 melding
Maandag 16-3-2026 om 16:44
Jan Heijmanslaan, 5246BH Rosmalen

112 melding
Maandag 16-3-2026 om 16:40
Jan Heijmanslaan, 5246BH Rosmalen

Binnenkijken bij
Zaterdag 14-3-2026
Annapark 26, 5246AN Rosmalen

Binnenkijken bij
Vrijdag 13-3-2026
Lucas Gasselstraat 22, 5246CE Rosmalen

112 melding
Woensdag 11-3-2026 om 22:11
Fort Prins Willem, Rosmalen

Binnenkijken bij
Maandag 9-3-2026
Petrus van Schendelstraat 16, 5246GR Rosmalen

Direct een e-mail ontvangen bij nieuwe meldingen in deze regio?

Meld je dan GRATIS aan voor de Oozo Alert service voor Hintham-Zuid

Instellen

Meer nieuws in Hintham-Zuid

Weten hoe eenvoudig het is om af te vallen? Zonder pillen en smeersels en zonder je in het zweet te werken!
Kijk op eenvoudig-afvallen.nl

© 2012 - 2026 OOZO.nl - info@oozo.nl - Gegevens verwijderen? | Disclaimer | Privacy statement