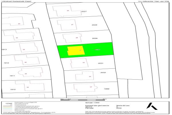
Woning Eg 31 Bovenkarspel

Eg 31, 1611LV Bovenkarspel

Ontvang updates voor Rozeboom

Het adres van deze woning uit 1995 is Eg 31 te Bovenkarspel. Het pand heeft 6 kamers kamers waarvan 5 slaapkamers. De geschatte waarde van deze woning is € 435.000.

Bekijk alle woningen in Rozeboom

Gegevens van Eengezinswoning, vrijstaande woning

Bouwjaar
1995
Geschatte waarde
€ 435.000
Oppervlakte
0 m2
Inhoud
516 m3
Aantal kamers
6 kamers
Slaapkamers
5
Badkamers
1 badkamer
Soort bouw
Bestaande bouw
Eigendomssituatie
Volle eigendom
Ligging
Aan rustige weg, in woonwijk en aan vaarwater
Tuin
Tuin rondom

Voorzieningen in de buurt

Boodschappen1,1 km
Grote supermarkt1,1 km
Cafetaria0,7 km
Restaurant0,8 km
Huisarts0,8 km
Ziekenhuis3,3 km
Kinderdagverblijf1,7 km
BSO1,9 km
Alle voorzieningen in Rozeboom

Binnenkijken bij Eg 31 te Bovenkarspel

Meer meldingen in deze omgeving

112 melding
Vrijdag 16-1-2026 om 12:57
De Tuin, 1611KR Bovenkarspel

112 melding
Donderdag 15-1-2026 om 18:03
De Botting, Bovenkarspel

112 melding
Donderdag 15-1-2026 om 12:44
Hulft, 1611LJ Bovenkarspel

112 melding
Donderdag 15-1-2026 om 11:14
Eg, 1611LT Bovenkarspel

112 melding
Donderdag 15-1-2026 om 09:24
Strekel, 1611JV Bovenkarspel

112 melding
Woensdag 14-1-2026 om 13:17
Strekel, 1611JV Bovenkarspel

112 melding
Dinsdag 13-1-2026 om 17:22
Strekel, 1611JV Bovenkarspel

112 melding
Dinsdag 13-1-2026 om 14:13
Dorsvlegel, Bovenkarspel

Direct een e-mail ontvangen bij nieuwe meldingen in deze regio?

Meld je dan GRATIS aan voor de Oozo Alert service voor Rozeboom

Instellen

Meer nieuws in Rozeboom

Weten hoe eenvoudig het is om af te vallen? Zonder pillen en smeersels en zonder je in het zweet te werken!
Kijk op eenvoudig-afvallen.nl

© 2012 - 2026 OOZO.nl - info@oozo.nl - Gegevens verwijderen? | Disclaimer | Privacy statement