Woning Brederode 3 Tiel

Brederode 3, 4007XB Tiel

Ontvang updates voor Passewaaij-Noord-West

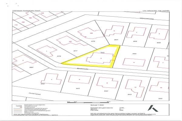
Het adres van deze woning uit 1994 is Brederode 3 te Tiel. Het pand heeft een oppervlakte van 200m² en een perceeloppervlakte van 568m² en heeft 7 kamers kamers waarvan 5 slaapkamers. De geschatte waarde van deze woning is € 597.500.

Bekijk alle woningen in Passewaaij-Noord-West

Gegevens van Villa, vrijstaande woning

Bouwjaar
1994
Geschatte waarde
€ 597.500
Oppervlakte
200 m2
Inhoud
685 m3
Aantal kamers
7 kamers
Slaapkamers
5
Soort bouw
Bestaande bouw
Eigendomssituatie
Volle eigendom
Ligging
Aan rustige weg en in woonwijk
Tuin
Tuin rondom, plaats en zonneterras

Voorzieningen in de buurt

Boodschappen0,9 km
Grote supermarkt2,2 km
Cafetaria2,2 km
Restaurant2,0 km
Huisarts0,5 km
Ziekenhuis3,1 km
Kinderdagverblijf0,6 km
BSO0,5 km
Alle voorzieningen in Passewaaij-Noord-West

Binnenkijken bij Brederode 3 te Tiel

Meer meldingen in deze omgeving

Binnenkijken bij
Vrijdag 10-10-2025
Brederode 12, 4007XB Tiel

Nieuw bedrijf
Oktober 2025
Brederode 3, 4007XB Tiel

112 melding
Vrijdag 3-10-2025 om 17:20
Dr. J.M. den Uyllaan, 4007XZ Tiel

112 melding
Vrijdag 3-10-2025 om 17:18
Dr. J.M. den Uyllaan, 4007XZ Tiel

Binnenkijken bij
Vrijdag 19-9-2025
F.J. Ebbensstraat 75, 4007WJ Tiel

112 melding
Zondag 14-9-2025 om 12:32
P. Oosterleestraat, 4007WL Tiel

112 melding
Zondag 14-9-2025 om 12:30
P. Oosterleestraat, 4007WL Tiel

112 melding
Zondag 14-9-2025 om 11:30
P. Oosterleestraat, 4007WL Tiel

Direct een e-mail ontvangen bij nieuwe meldingen in deze regio?

Meld je dan GRATIS aan voor de Oozo Alert service voor Passewaaij-Noord-West

Instellen

Meer nieuws in Passewaaij-Noord-West

Weten hoe eenvoudig het is om af te vallen? Zonder pillen en smeersels en zonder je in het zweet te werken!
Kijk op eenvoudig-afvallen.nl

© 2012 - 2025 OOZO.nl - info@oozo.nl - Gegevens verwijderen? | Disclaimer | Privacy statement