Woning Silcherstraat 20 Tilburg

Silcherstraat 20, 5011AC Tilburg

Ontvang updates voor Lijnse Hoek Oost

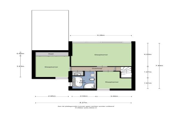
Het adres van deze woning uit 1974 is Silcherstraat 20 te Tilburg. Het pand heeft een oppervlakte van 122m² en een perceeloppervlakte van 145m² en heeft 5 kamers kamers waarvan 4 slaapkamers. De geschatte waarde van deze woning is € 239.000.

Bekijk alle woningen in Lijnse Hoek Oost

Gegevens van Eengezinswoning, tussenwoning (dijkwoning)

Bouwjaar
1974
Geschatte waarde
€ 239.000
Oppervlakte
122 m2
Inhoud
428 m3
Aantal kamers
5 kamers
Slaapkamers
4
Badkamers
1 apart toilet
Soort bouw
Bestaande bouw
Eigendomssituatie
Volle eigendom
Ligging
Aan rustige weg en in woonwijk
Tuin
Achtertuin, voortuin en zonneterras
Achtertuin
30 m² (6m diep en 5m breed)

Voorzieningen in de buurt

Boodschappen0,7 km
Grote supermarkt0,7 km
Cafetaria0,7 km
Restaurant0,7 km
Huisarts0,7 km
Ziekenhuis2,1 km
Kinderdagverblijf0,4 km
BSO0,4 km
Alle voorzieningen in Lijnse Hoek Oost

Binnenkijken bij Silcherstraat 20 te Tilburg

Meer meldingen in deze omgeving

112 melding
Donderdag 5-2-2026 om 13:08
Bachlaan, 5011 Tilburg

112 melding
Donderdag 5-2-2026 om 09:46
Bachlaan, 5011 Tilburg

112 melding
Donderdag 5-2-2026 om 07:44
Kreutzerstraat, 5011AA Tilburg

112 melding
Woensdag 4-2-2026 om 16:38
Kreutzerstraat, 5011AA Tilburg

112 melding
Woensdag 4-2-2026 om 10:11
Kreutzerstraat, 5011AA Tilburg

112 melding
Woensdag 4-2-2026 om 10:11
Kreutzerstraat, 5011AA Tilburg

112 melding
Woensdag 4-2-2026 om 10:08
Hindemithstraat, 5011AE Tilburg

112 melding
Woensdag 4-2-2026 om 10:08
Hindemithstraat, 5011AE Tilburg

Direct een e-mail ontvangen bij nieuwe meldingen in deze regio?

Meld je dan GRATIS aan voor de Oozo Alert service voor Lijnse Hoek Oost

Instellen

Meer nieuws in Lijnse Hoek Oost

Weten hoe eenvoudig het is om af te vallen? Zonder pillen en smeersels en zonder je in het zweet te werken!
Kijk op eenvoudig-afvallen.nl

© 2012 - 2026 OOZO.nl - info@oozo.nl - Gegevens verwijderen? | Disclaimer | Privacy statement