Woning Sparrenstraat 25 Tilburg

Sparrenstraat 25, 5038MJ Tilburg

Ontvang updates voor Bomenbuurt Midden

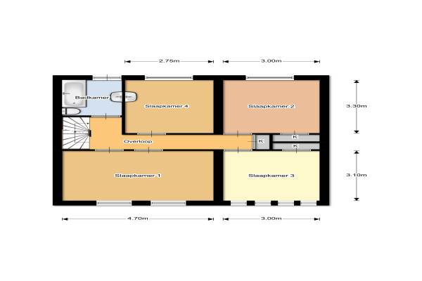
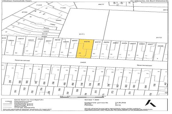
Het adres van deze woning uit 1931 is Sparrenstraat 25 te Tilburg. Het pand heeft een oppervlakte van 145m² en een perceeloppervlakte van 186m² en heeft 7 kamers kamers waarvan 6 slaapkamers. De geschatte waarde van deze woning is € 259.000.

Bekijk alle woningen in Bomenbuurt Midden

Gegevens van Eengezinswoning, tussenwoning

Bouwjaar
1931
Geschatte waarde
€ 259.000
Oppervlakte
145 m2
Inhoud
490 m3
Aantal kamers
7 kamers
Slaapkamers
6
Badkamers
1 badkamer en 1 apart toilet
Soort bouw
Bestaande bouw
Ligging
Aan rustige weg, in centrum en in woonwijk
Tuin
Achtertuin
Achtertuin
25 m² (8m diep en 4m breed)

Voorzieningen in de buurt

Boodschappen0,3 km
Grote supermarkt0,6 km
Cafetaria0,3 km
Restaurant0,3 km
Huisarts0,7 km
Ziekenhuis2,7 km
Kinderdagverblijf0,2 km
BSO0,3 km
Alle voorzieningen in Bomenbuurt Midden

Binnenkijken bij Sparrenstraat 25 te Tilburg

Meer meldingen in deze omgeving

112 melding
Maandag 17-11-2025 om 16:35
Sint Ceciliastraat, 5038HA Tilburg

112 melding
Maandag 17-11-2025 om 15:20
Lariksplaats, 5038HN Tilburg

112 melding
Maandag 17-11-2025 om 11:03
Lariksplaats, 5038HN Tilburg

112 melding
Maandag 17-11-2025 om 11:03
Lariksplaats, 5038HN Tilburg

Nieuw bedrijf
November 2025
Olmenstraat 15, 5038PN Tilburg

Nieuw bedrijf
November 2025
Watertorenplein 2, 5038NR Tilburg

Binnenkijken bij
Vrijdag 14-11-2025
Kastanjestraat 18, 5038PT Tilburg

Nieuw bedrijf
November 2025
Watertorenstraat 13, 5038NS Tilburg

Direct een e-mail ontvangen bij nieuwe meldingen in deze regio?

Meld je dan GRATIS aan voor de Oozo Alert service voor Bomenbuurt Midden

Instellen

Meer nieuws in Bomenbuurt Midden

Weten hoe eenvoudig het is om af te vallen? Zonder pillen en smeersels en zonder je in het zweet te werken!
Kijk op eenvoudig-afvallen.nl

© 2012 - 2025 OOZO.nl - info@oozo.nl - Gegevens verwijderen? | Disclaimer | Privacy statement