Woning Kochstraat 1 Venlo

Kochstraat 1, 5914WJ Venlo

Ontvang updates voor 't Zand

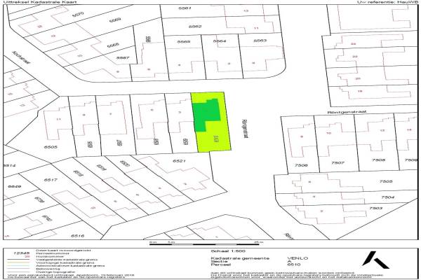
Het adres van deze woning uit 1985 is Kochstraat 1 te Venlo. Het pand heeft een oppervlakte van 125m² en een perceeloppervlakte van 218m² en heeft 6 kamers kamers waarvan 3 slaapkamers. De geschatte waarde van deze woning is € 245.000.

Bekijk alle woningen in 't Zand

Gegevens van Eengezinswoning, hoekwoning

Bouwjaar
1985
Geschatte waarde
€ 245.000
Oppervlakte
125 m2
Inhoud
425 m3
Aantal kamers
6 kamers
Slaapkamers
3
Badkamers
2 badkamers en 1 apart toilet
Soort bouw
Bestaande bouw
Eigendomssituatie
Volle eigendom
Ligging
In woonwijk
Tuin
Achtertuin, voortuin en zijtuin
Achtertuin
70 m² (10m diep en 7m breed)

Voorzieningen in de buurt

Boodschappen0,3 km
Grote supermarkt0,4 km
Cafetaria0,4 km
Restaurant0,7 km
Huisarts0,8 km
Ziekenhuis4,1 km
Kinderdagverblijf0,4 km
BSO1,0 km
Alle voorzieningen in 't Zand

Binnenkijken bij Kochstraat 1 te Venlo

Meer meldingen in deze omgeving

Nieuw bedrijf
November 2025
Veldenseweg 215, 5914SN Venlo

112 melding
Dinsdag 18-11-2025 om 16:59
Albert Schweitzerstraat, Venlo

112 melding
Dinsdag 18-11-2025 om 16:58
Albert Schweitzerstraat, Venlo

Binnenkijken bij
Dinsdag 18-11-2025
Röntgenstraat 24, 5914WB Venlo

Binnenkijken bij
Dinsdag 11-11-2025
Karbindersstraat 37, 5914NV Venlo

Nieuw bedrijf
November 2025
Veldenseweg 252, 5914SZ Venlo

112 melding
Donderdag 6-11-2025 om 20:04
Kramersstraat, Venlo

112 melding
Donderdag 6-11-2025 om 20:02
Kramersstraat, Venlo

Direct een e-mail ontvangen bij nieuwe meldingen in deze regio?

Meld je dan GRATIS aan voor de Oozo Alert service voor 't Zand

Instellen

Meer nieuws in 't Zand

Weten hoe eenvoudig het is om af te vallen? Zonder pillen en smeersels en zonder je in het zweet te werken!
Kijk op eenvoudig-afvallen.nl

© 2012 - 2025 OOZO.nl - info@oozo.nl - Gegevens verwijderen? | Disclaimer | Privacy statement