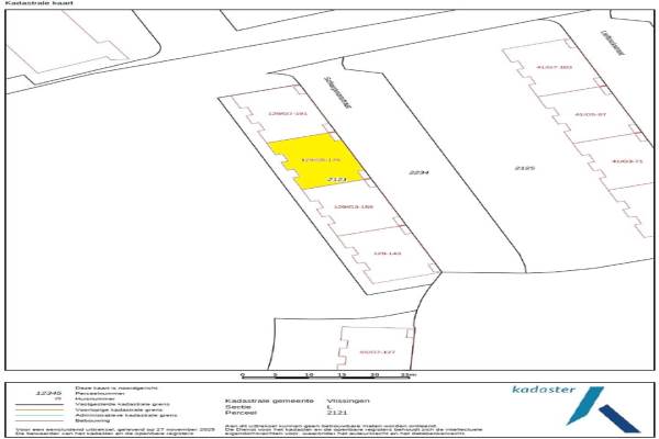
Garage Schaepmanstraat garage 521 Vlissingen

Schaepmanstraat garage 521, 4384CZ Vlissingen

Ontvang updates voor Paauwenburg Zuidoost

Het adres van deze garage is Schaepmanstraat garage 521 te Vlissingen. Het pand heeft 0 kamers kamers. De geschatte waarde van deze garage is € 23.500.

Bekijk alle woningen in Paauwenburg Zuidoost

Gegevens van Garage

Geschatte waarde
€ 23.500
Oppervlakte
0 m2
Aantal kamers
0 kamers
Soort bouw
Bestaande bouw
Eigendomssituatie
Volle eigendom

Voorzieningen in de buurt

Boodschappen0,7 km
Grote supermarkt0,7 km
Cafetaria1,5 km
Restaurant0,3 km
Huisarts0,8 km
Ziekenhuis1,4 km
Kinderdagverblijf0,4 km
BSO0,4 km
Alle voorzieningen in Paauwenburg Zuidoost

Binnenkijken bij Schaepmanstraat garage 521 te Vlissingen

Meer meldingen in deze omgeving

Nieuw bedrijf
December 2025
Schaepmanstraat 103, 4384CW Vlissingen

112 melding
Vrijdag 21-11-2025 om 15:18
Groen van Prinstererlaan, Vlissingen

112 melding
Vrijdag 21-11-2025 om 15:18
Groen van Prinstererlaan, Vlissingen

Binnenkijken bij
Dinsdag 18-11-2025
Schaepmanstraat 175, 4384CZ Vlissingen

Binnenkijken bij
Vrijdag 14-11-2025
Schaepmanstraat 113, 4384CW Vlissingen

Nieuw bedrijf
November 2025
Oudstraat 14, 4384DL Vlissingen

112 melding
Woensdag 5-11-2025 om 21:36
Dreesstraat, Vlissingen

Binnenkijken bij
Woensdag 29-10-2025
Schaepmanstraat 57, 4384CT Vlissingen

Direct een e-mail ontvangen bij nieuwe meldingen in deze regio?

Meld je dan GRATIS aan voor de Oozo Alert service voor Paauwenburg Zuidoost

Instellen

Meer nieuws in Paauwenburg Zuidoost

Weten hoe eenvoudig het is om af te vallen? Zonder pillen en smeersels en zonder je in het zweet te werken!
Kijk op eenvoudig-afvallen.nl

© 2012 - 2025 OOZO.nl - info@oozo.nl - Gegevens verwijderen? | Disclaimer | Privacy statement