Woning De Hooghkamer 7 Voorschoten

De Hooghkamer 7, 2253JT Voorschoten

Ontvang updates voor Noord-Hofland

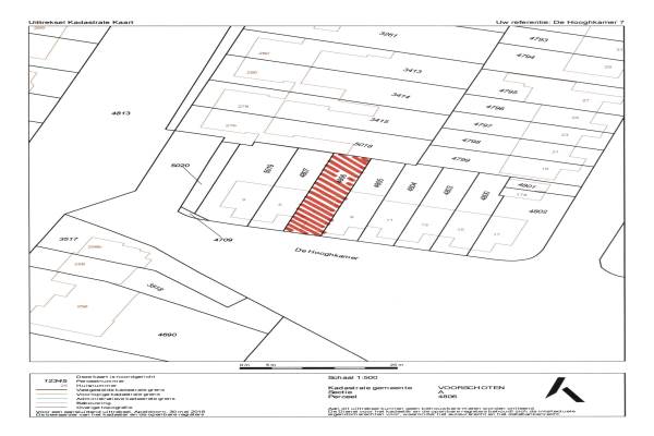
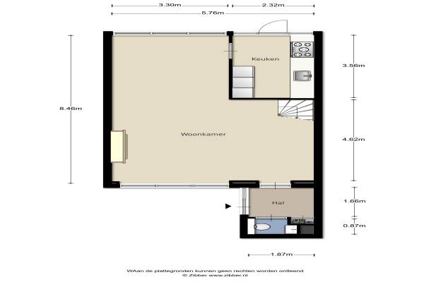
Het adres van deze woning uit 1973 is De Hooghkamer 7 te Voorschoten. Het pand heeft een oppervlakte van 129m² en een perceeloppervlakte van 169m² en heeft 5 kamers kamers waarvan 4 slaapkamers. De geschatte waarde van deze woning is € 397.500.

Bekijk alle woningen in Noord-Hofland

Gegevens van Eengezinswoning, tussenwoning

Bouwjaar
1973
Geschatte waarde
€ 397.500
Oppervlakte
129 m2
Inhoud
423 m3
Aantal kamers
5 kamers
Slaapkamers
4
Soort bouw
Bestaande bouw
Ligging
In woonwijk en vrij uitzicht
Tuin
Voortuin en achtertuin
Achtertuin
78 m² (13m diep en 6m breed)

Voorzieningen in de buurt

Boodschappen0,6 km
Grote supermarkt0,6 km
Cafetaria0,6 km
Restaurant0,5 km
Huisarts0,6 km
Ziekenhuis4,0 km
Kinderdagverblijf0,6 km
BSO0,7 km
Alle voorzieningen in Noord-Hofland

Binnenkijken bij De Hooghkamer 7 te Voorschoten

Meer meldingen in deze omgeving

112 melding
Zaterdag 1-11-2025 om 15:02
Aletta Jacobsplantsoen, Voorschoten

112 melding
Donderdag 30-10-2025 om 23:16
Admiraal de Ruytersingel, Voorschoten

112 melding
Donderdag 30-10-2025 om 23:16
Admiraal de Ruytersingel, Voorschoten

112 melding
Donderdag 30-10-2025 om 23:14
Admiraal de Ruytersingel, Voorschoten

Nieuw bedrijf
Oktober 2025
Gerbrandylaan 14, 2253LA Voorschoten

Nieuw bedrijf
Oktober 2025
Leidseweg 241, 2253JA Voorschoten

Binnenkijken bij
Woensdag 29-10-2025
Jan van Brakelplantsoen 10, 2253TD Voorschoten

Binnenkijken bij
Woensdag 29-10-2025
Witte de Withlaan 22, 2253XS Voorschoten

Direct een e-mail ontvangen bij nieuwe meldingen in deze regio?

Meld je dan GRATIS aan voor de Oozo Alert service voor Noord-Hofland

Instellen

Meer nieuws in Noord-Hofland

Weten hoe eenvoudig het is om af te vallen? Zonder pillen en smeersels en zonder je in het zweet te werken!
Kijk op eenvoudig-afvallen.nl

© 2012 - 2025 OOZO.nl - info@oozo.nl - Gegevens verwijderen? | Disclaimer | Privacy statement