Woning Koningsdiep 43 Zaandam

Koningsdiep 43, 1509WC Zaandam

Ontvang updates voor Kalf

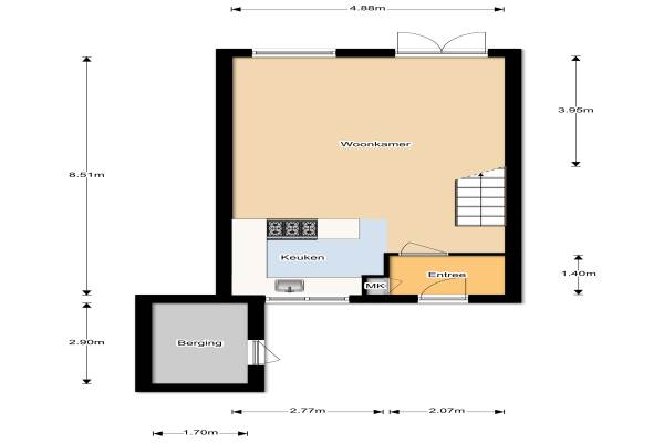
Het adres van deze woning uit 1982 is Koningsdiep 43 te Zaandam. Het pand heeft een oppervlakte van 108m² en een perceeloppervlakte van 123m² en heeft 4 kamers kamers waarvan 3 slaapkamers. De geschatte waarde van deze woning is € 285.000.

Bekijk alle woningen in Kalf

Gegevens van Eengezinswoning, tussenwoning

Bouwjaar
1982
Geschatte waarde
€ 285.000
Oppervlakte
108 m2
Inhoud
378 m3
Aantal kamers
4 kamers
Slaapkamers
3
Badkamers
1 badkamer
Soort bouw
Bestaande bouw
Eigendomssituatie
Volle eigendom
Ligging
Aan water, aan rustige weg en in woonwijk
Tuin
Achtertuin en voortuin
Achtertuin
55 m² (11m diep en 5m breed)

Voorzieningen in de buurt

Boodschappen0,8 km
Grote supermarkt0,8 km
Cafetaria0,7 km
Restaurant0,6 km
Huisarts0,7 km
Ziekenhuis3,2 km
Kinderdagverblijf0,6 km
BSO0,9 km
Alle voorzieningen in Kalf

Binnenkijken bij Koningsdiep 43 te Zaandam

Meer meldingen in deze omgeving

112 melding
Zondag 9-11-2025 om 23:22
Brielse Meer, Zaandam

112 melding
Zondag 9-11-2025 om 02:40
Eefsebeek, Zaandam

112 melding
Zaterdag 8-11-2025 om 13:42
Drielse Wetering, Zaandam

112 melding
Zaterdag 8-11-2025 om 13:33
Dr. H.G. Scholtenstraat, Zaandam

112 melding
Zaterdag 8-11-2025 om 05:44
Eefsebeek, Zaandam

112 melding
Vrijdag 7-11-2025 om 07:30
Eefsebeek, Zaandam

112 melding
Donderdag 6-11-2025 om 17:05
Leekstermeer, Zaandam

112 melding
Donderdag 6-11-2025 om 11:55
Brielse Meer, Zaandam

Direct een e-mail ontvangen bij nieuwe meldingen in deze regio?

Meld je dan GRATIS aan voor de Oozo Alert service voor Kalf

Instellen

Meer nieuws in Kalf

Weten hoe eenvoudig het is om af te vallen? Zonder pillen en smeersels en zonder je in het zweet te werken!
Kijk op eenvoudig-afvallen.nl

© 2012 - 2025 OOZO.nl - info@oozo.nl - Gegevens verwijderen? | Disclaimer | Privacy statement