Woning Catharinus Stomplaan 6 Zeist

Catharinus Stomplaan 6, 3705VA Zeist

Ontvang updates voor Dijnselburg

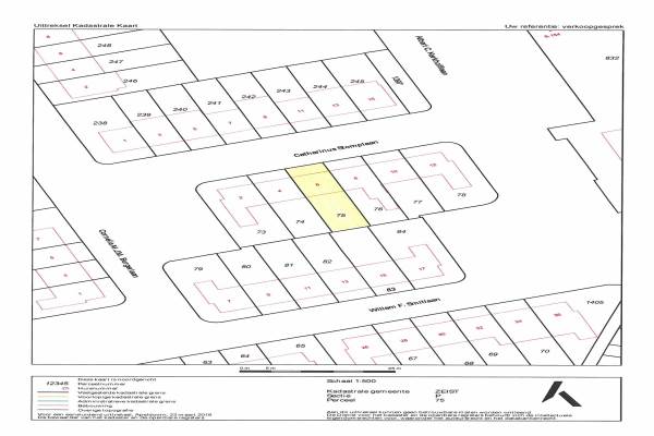
Het adres van deze woning uit 1951 is Catharinus Stomplaan 6 te Zeist. Het pand heeft een oppervlakte van 86m² en een perceeloppervlakte van 148m² en heeft 5 kamers kamers waarvan 4 slaapkamers. De geschatte waarde van deze woning is € 279.000.

Bekijk alle woningen in Dijnselburg

Gegevens van Eengezinswoning, tussenwoning

Bouwjaar
1951
Geschatte waarde
€ 279.000
Oppervlakte
86 m2
Inhoud
235 m3
Aantal kamers
5 kamers
Slaapkamers
4
Badkamers
1 apart toilet
Soort bouw
Bestaande bouw
Eigendomssituatie
Volle eigendom
Ligging
Aan rustige weg, in woonwijk en in bosrijke omgeving
Tuin
Achtertuin en voortuin
Achtertuin
84 m² (14m diep en 6m breed)

Voorzieningen in de buurt

Boodschappen0,3 km
Grote supermarkt0,4 km
Cafetaria0,3 km
Restaurant0,4 km
Huisarts1,0 km
Ziekenhuis1,9 km
Kinderdagverblijf0,2 km
BSO0,2 km
Alle voorzieningen in Dijnselburg

Binnenkijken bij Catharinus Stomplaan 6 te Zeist

Meer meldingen in deze omgeving

Onroerend goed
Zondag 25-1-2026
Dijnselburgerlaan 3-B 1, 3705LP Zeist

Binnenkijken bij
Zondag 25-1-2026
Rooseveltlaan 4, 3705PG Zeist

112 melding
Vrijdag 23-1-2026 om 14:58
Balilaan, Zeist

Binnenkijken bij
Donderdag 22-1-2026
Dijnselweg 109, 3705EL Zeist

Nieuw bedrijf
Januari 2026
Mevr. Kuipers-Rietberglaan 61, 3705PV Zeist

112 melding
Maandag 12-1-2026 om 09:27
Vrijheidsplein, Zeist

Binnenkijken bij
Vrijdag 9-1-2026
Nepveulaan 28, 3705LD Zeist

112 melding
Donderdag 1-1-2026 om 06:41
Churchill-laan, 3705PA Zeist

Direct een e-mail ontvangen bij nieuwe meldingen in deze regio?

Meld je dan GRATIS aan voor de Oozo Alert service voor Dijnselburg

Instellen

Meer nieuws in Dijnselburg

Weten hoe eenvoudig het is om af te vallen? Zonder pillen en smeersels en zonder je in het zweet te werken!
Kijk op eenvoudig-afvallen.nl

© 2012 - 2026 OOZO.nl - info@oozo.nl - Gegevens verwijderen? | Disclaimer | Privacy statement