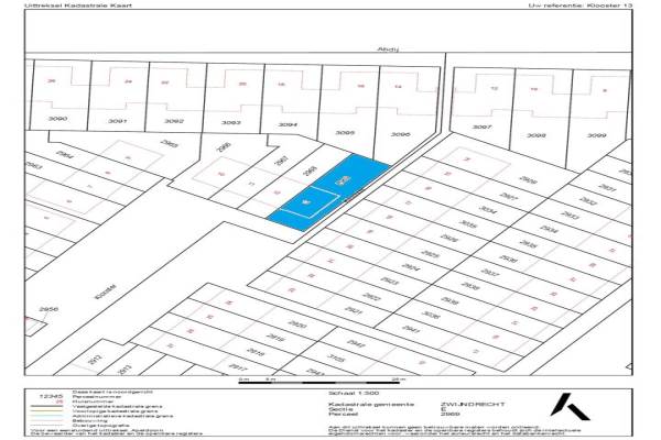
Woning Klooster 13 Zwijndrecht

Klooster 13, 3335DK Zwijndrecht

Ontvang updates voor Klarinetsingel en omgeving

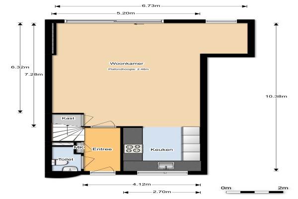
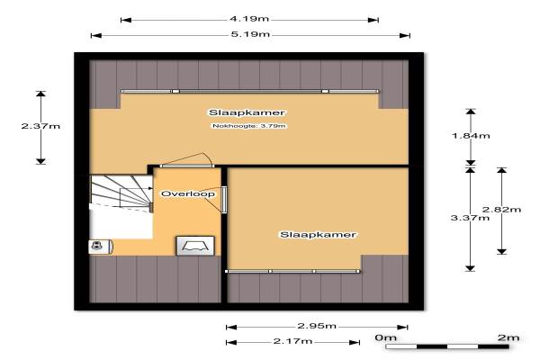
Het adres van deze woning uit 1989 is Klooster 13 te Zwijndrecht. Het pand heeft een oppervlakte van 127m² en een perceeloppervlakte van 178m² en heeft 6 kamers kamers waarvan 5 slaapkamers. De geschatte waarde van deze woning is € 265.000.

Bekijk alle woningen in Klarinetsingel en omgeving

Gegevens van Eengezinswoning, hoekwoning

Bouwjaar
1989
Geschatte waarde
€ 265.000
Oppervlakte
127 m2
Inhoud
413 m3
Aantal kamers
6 kamers
Slaapkamers
5
Badkamers
1 badkamer en 1 apart toilet
Soort bouw
Bestaande bouw
Eigendomssituatie
Volle eigendom
Ligging
Aan rustige weg en in woonwijk
Tuin
Achtertuin, voortuin en zijtuin
Achtertuin
55 m² (7,88m diep en 7m breed)

Voorzieningen in de buurt

Boodschappen0,5 km
Grote supermarkt0,5 km
Cafetaria0,5 km
Restaurant1,7 km
Huisarts0,9 km
Ziekenhuis2,8 km
Kinderdagverblijf0,4 km
BSO0,4 km
Alle voorzieningen in Klarinetsingel en omgeving

Binnenkijken bij Klooster 13 te Zwijndrecht

Meer meldingen in deze omgeving

112 melding
Woensdag 29-4-2026 om 13:27
Klarinetsingel, Zwijndrecht

112 melding
Woensdag 29-4-2026 om 12:45
Abdij, 3335DJ Zwijndrecht

112 melding
Vrijdag 24-4-2026 om 18:03
Klarinetsingel, Zwijndrecht

112 melding
Vrijdag 24-4-2026 om 18:03
Klarinetsingel, Zwijndrecht

112 melding
Vrijdag 24-4-2026 om 17:23
Klarinetsingel, 3335DE Zwijndrecht

112 melding
Vrijdag 24-4-2026 om 17:23
Klarinetsingel, 3335DE Zwijndrecht

112 melding
Vrijdag 24-4-2026 om 14:34
Klarinetsingel, 3335DE Zwijndrecht

112 melding
Woensdag 22-4-2026 om 14:55
Klarinetsingel, 3335DE Zwijndrecht (3335 DE)

Direct een e-mail ontvangen bij nieuwe meldingen in deze regio?

Meld je dan GRATIS aan voor de Oozo Alert service voor Klarinetsingel en omgeving

Instellen

Meer nieuws in Klarinetsingel en omgeving

Weten hoe eenvoudig het is om af te vallen? Zonder pillen en smeersels en zonder je in het zweet te werken!
Kijk op eenvoudig-afvallen.nl

© 2012 - 2026 OOZO.nl - info@oozo.nl - Gegevens verwijderen? | Disclaimer | Privacy statement