Woning Secretaris Munniklaan 21 Wilnis

Secretaris Munniklaan 21, 3648VC Wilnis

Ontvang updates voor de Maricken-Veenzijde

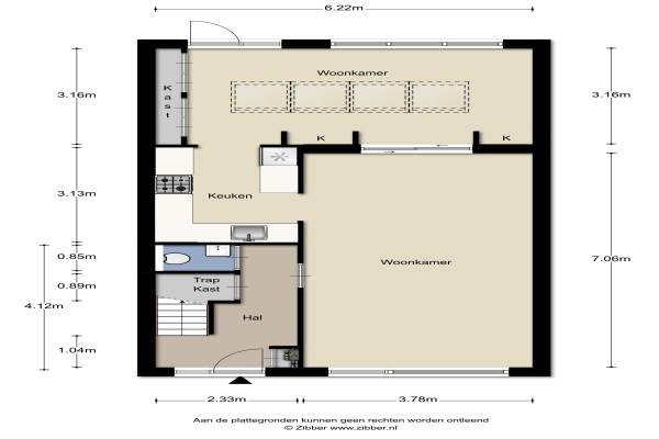
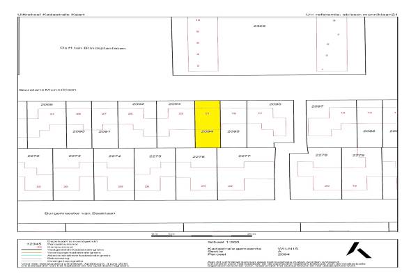
Het adres van deze woning uit 1971 is Secretaris Munniklaan 21 te Wilnis. Het pand heeft een oppervlakte van 142m² en een perceeloppervlakte van 163m² en heeft 7 kamers kamers waarvan 5 slaapkamers. De geschatte waarde van deze woning is € 339.000.

Bekijk alle woningen in de Maricken-Veenzijde

Gegevens van Eengezinswoning, tussenwoning

Bouwjaar
1971
Geschatte waarde
€ 339.000
Oppervlakte
142 m2
Inhoud
470 m3
Aantal kamers
7 kamers
Slaapkamers
5
Badkamers
1 badkamer en 2 aparte toiletten
Soort bouw
Bestaande bouw
Eigendomssituatie
Volle eigendom
Ligging
Aan rustige weg en in woonwijk
Tuin
Achtertuin en voortuin
Achtertuin
54 m² (9m diep en 6m breed)

Voorzieningen in de buurt

Boodschappen0,7 km
Grote supermarkt0,7 km
Cafetaria0,6 km
Restaurant0,7 km
Huisarts0,6 km
Ziekenhuis2,9 km
Kinderdagverblijf0,8 km
BSO0,5 km
Alle voorzieningen in de Maricken-Veenzijde

Binnenkijken bij Secretaris Munniklaan 21 te Wilnis

Meer meldingen in deze omgeving

Nieuw bedrijf
April 2026
Zwenkgras 9, 3648JH Wilnis

Nieuw bedrijf
April 2026
Veenweg 16, 3648HA Wilnis

Nieuw bedrijf
April 2026
Burgemeester van Trichtlaan 9, 3648VE Wilnis

Nieuw bedrijf
April 2026
Langhuis 93, 3648LK Wilnis

Nieuw bedrijf
April 2026
Dokter Mees ten Oeverlaan 20, 3648XB Wilnis

Nieuw bedrijf
April 2026
Herbergier 24, 3648KS Wilnis

Binnenkijken bij
Donderdag 16-4-2026
Burgemeester de Voogtlaan 128, 3648XG Wilnis

Binnenkijken bij
Vrijdag 10-4-2026
Wagenmaker 167, 3648KZ Wilnis

Direct een e-mail ontvangen bij nieuwe meldingen in deze regio?

Meld je dan GRATIS aan voor de Oozo Alert service voor de Maricken-Veenzijde

Instellen

Meer nieuws in de Maricken-Veenzijde

Weten hoe eenvoudig het is om af te vallen? Zonder pillen en smeersels en zonder je in het zweet te werken!
Kijk op eenvoudig-afvallen.nl

© 2012 - 2026 OOZO.nl - info@oozo.nl - Gegevens verwijderen? | Disclaimer | Privacy statement