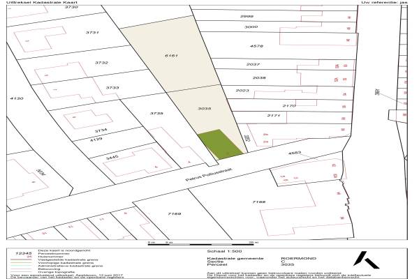
Woning Petrus Polliusstraat 2 Roermond

Petrus Polliusstraat 2, 6045BX Roermond

Ontvang updates voor Kapel-Muggenbroek

Het adres van deze woning uit 1930 is Petrus Polliusstraat 2 te Roermond. Het pand heeft een oppervlakte van 156m² en een perceeloppervlakte van 930m² en heeft 8 kamers kamers waarvan 4 slaapkamers. De geschatte waarde van deze woning is € 367.500.

Bekijk alle woningen in Kapel-Muggenbroek

Gegevens van Eengezinswoning, vrijstaande woning

Bouwjaar
1930
Geschatte waarde
€ 367.500
Oppervlakte
156 m2
Inhoud
635 m3
Aantal kamers
8 kamers
Slaapkamers
4
Badkamers
1 badkamer en 1 apart toilet
Soort bouw
Bestaande bouw
Eigendomssituatie
Volle eigendom
Ligging
Aan rustige weg en in woonwijk
Tuin
Achtertuin en zijtuin
Achtertuin
270 m² (22,5m diep en 12m breed)

Voorzieningen in de buurt

Boodschappen0,4 km
Grote supermarkt0,8 km
Cafetaria0,3 km
Restaurant0,8 km
Huisarts0,4 km
Ziekenhuis1,7 km
Kinderdagverblijf0,4 km
BSO0,4 km
Alle voorzieningen in Kapel-Muggenbroek

Binnenkijken bij Petrus Polliusstraat 2 te Roermond

Meer meldingen in deze omgeving

112 melding
Zondag 9-11-2025 om 11:16
Muggenbroekerlaan, Roermond

Binnenkijken bij
Woensdag 29-10-2025
Kapellerhof 64, 6045DD Roermond

Binnenkijken bij
Woensdag 29-10-2025
Heinsbergerweg 50A, 6045CH Roermond

Binnenkijken bij
Woensdag 29-10-2025
Petrus Polliusstraat 55, 6045BW Roermond

Nieuw bedrijf
Oktober 2025
Heinsbergerweg 54A, 6045CH Roermond

112 melding
Zondag 26-10-2025 om 09:41
Muggenbroekerlaan, Roermond

Onroerend goed
Vrijdag 17-10-2025
Kapellerlaan 255, 6045AG Roermond

Binnenkijken bij
Vrijdag 10-10-2025
Heinsbergerweg 58, 6045CH Roermond

Direct een e-mail ontvangen bij nieuwe meldingen in deze regio?

Meld je dan GRATIS aan voor de Oozo Alert service voor Kapel-Muggenbroek

Instellen

Meer nieuws in Kapel-Muggenbroek

Weten hoe eenvoudig het is om af te vallen? Zonder pillen en smeersels en zonder je in het zweet te werken!
Kijk op eenvoudig-afvallen.nl

© 2012 - 2025 OOZO.nl - info@oozo.nl - Gegevens verwijderen? | Disclaimer | Privacy statement