Woning Noletstraat 19 Tuitjenhorn

Noletstraat 19, 1747HS Tuitjenhorn

Ontvang updates voor Tuitjenhorn en Kerkbuurt

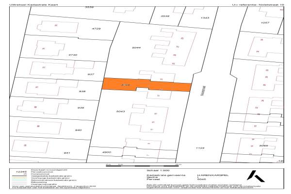
Het adres van deze woning uit 1970 is Noletstraat 19 te Tuitjenhorn. Het pand heeft een oppervlakte van 97m² en een perceeloppervlakte van 215m² en heeft 5 kamers kamers waarvan 4 slaapkamers. De geschatte waarde van deze woning is € 215.000.

Bekijk alle woningen in Tuitjenhorn en Kerkbuurt

Gegevens van Eengezinswoning, tussenwoning

Bouwjaar
1970
Geschatte waarde
€ 215.000
Oppervlakte
97 m2
Inhoud
402 m3
Aantal kamers
5 kamers
Slaapkamers
4
Badkamers
1 apart toilet
Soort bouw
Bestaande bouw
Eigendomssituatie
Volle eigendom
Ligging
Aan rustige weg en in woonwijk
Tuin
Achtertuin en voortuin
Achtertuin
113 m² (15m diep en 7,5m breed)

Voorzieningen in de buurt

Boodschappen3,0 km
Grote supermarkt3,2 km
Cafetaria0,5 km
Restaurant0,4 km
Huisarts0,4 km
Ziekenhuis4,6 km
Kinderdagverblijf0,4 km
BSO0,4 km
Alle voorzieningen in Tuitjenhorn en Kerkbuurt

Binnenkijken bij Noletstraat 19 te Tuitjenhorn

Meer meldingen in deze omgeving

112 melding
Woensdag 12-11-2025 om 15:21
De Regenboog, 1747GV Tuitjenhorn

112 melding
Woensdag 12-11-2025 om 14:25
Oostwal, Tuitjenhorn

112 melding
Woensdag 12-11-2025 om 13:34
Oostwal, 1747EZ Tuitjenhorn

112 melding
Woensdag 12-11-2025 om 12:37
Kalverdijkerlaantje, 1747GG Tuitjenhorn

112 melding
Woensdag 12-11-2025 om 12:08
De Punter, 1747SK Tuitjenhorn

112 melding
Woensdag 12-11-2025 om 11:59
Koorndijk, 1747GC Tuitjenhorn

112 melding
Woensdag 12-11-2025 om 11:16
Sportlaan, 1747GS Tuitjenhorn

112 melding
Woensdag 12-11-2025 om 01:39
Manusveert, Tuitjenhorn

Direct een e-mail ontvangen bij nieuwe meldingen in deze regio?

Meld je dan GRATIS aan voor de Oozo Alert service voor Tuitjenhorn en Kerkbuurt

Instellen

Meer nieuws in Tuitjenhorn en Kerkbuurt

Weten hoe eenvoudig het is om af te vallen? Zonder pillen en smeersels en zonder je in het zweet te werken!
Kijk op eenvoudig-afvallen.nl

© 2012 - 2025 OOZO.nl - info@oozo.nl - Gegevens verwijderen? | Disclaimer | Privacy statement