Woning Meijersweg 9 Geesteren Ov

Meijersweg 9, 7678SH Geesteren Ov

Ontvang updates voor Verspreide huizen Geesteren

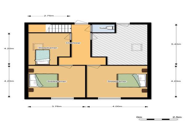
Het adres van deze woning is Meijersweg 9 te Geesteren Ov. Het pand heeft een oppervlakte van 182m² en een perceeloppervlakte van 46310m² en heeft 8 kamers kamers waarvan 5 slaapkamers. De geschatte waarde van deze woning is € 395.000.

Bekijk alle woningen in Verspreide huizen Geesteren

Gegevens van Woonboerderij, halfvrijstaande woning

Geschatte waarde
€ 395.000
Oppervlakte
182 m2
Inhoud
433 m3
Aantal kamers
8 kamers
Slaapkamers
5
Badkamers
1 badkamer en 1 apart toilet
Soort bouw
Bestaande bouw
Eigendomssituatie
Volle eigendom
Ligging
Aan bosrand, aan rustige weg, vrij uitzicht, buiten bebouwde kom, in bosrijke omgeving en landelijk gelegen
Tuin
Tuin rondom

Voorzieningen in de buurt

Boodschappen2,4 km
Grote supermarkt2,2 km
Cafetaria2,4 km
Restaurant2,1 km
Huisarts2,5 km
Ziekenhuis2,6 km
Kinderdagverblijf1,9 km
BSO2,1 km
Alle voorzieningen in Verspreide huizen Geesteren

Binnenkijken bij Meijersweg 9 te Geesteren Ov

Meer meldingen in deze omgeving

Nieuw bedrijf
Mei 2026
Langeveenseweg 149a, 7678VJ Geesteren

Nieuw bedrijf
Mei 2026
Witteveensweg 11, 7678RE Geesteren

Nieuw bedrijf
Mei 2026
Haarbrinksweg 61, 7678RS Geesteren

Nieuw bedrijf
April 2026
Wierenseveldweg 4, 7678VN Geesteren

Faillissement
Woensdag 22-4-2026
Vriezenveenseweg 118, 7678VD Geesteren

112 melding
Dinsdag 21-4-2026 om 13:52
Denekamperweg, Geesteren

112 melding
Maandag 20-4-2026 om 12:08
Denekamperweg, Geesteren

112 melding
Maandag 20-4-2026 om 10:31
Denekamperweg, Geesteren

Direct een e-mail ontvangen bij nieuwe meldingen in deze regio?

Meld je dan GRATIS aan voor de Oozo Alert service voor Verspreide huizen Geesteren

Instellen

Meer nieuws in Verspreide huizen Geesteren

Weten hoe eenvoudig het is om af te vallen? Zonder pillen en smeersels en zonder je in het zweet te werken!
Kijk op eenvoudig-afvallen.nl

© 2012 - 2026 OOZO.nl - info@oozo.nl - Gegevens verwijderen? | Disclaimer | Privacy statement