Woning 2e Lambertusstraat 18 Venlo

2e Lambertusstraat 18, 5921HX Venlo

Ontvang updates voor Blerick-Centrum

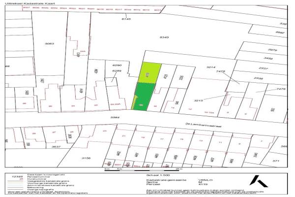
Het adres van deze woning uit 1906 is 2e Lambertusstraat 18 te Venlo. Het pand heeft een oppervlakte van 109m² en een perceeloppervlakte van 207m² en heeft 5 kamers kamers waarvan 2 slaapkamers. De geschatte waarde van deze woning is € 175.000.

Bekijk alle woningen in Blerick-Centrum

Gegevens van Eengezinswoning, 2-onder-1-kapwoning

Bouwjaar
1906
Geschatte waarde
€ 175.000
Oppervlakte
109 m2
Inhoud
345 m3
Aantal kamers
5 kamers
Slaapkamers
2
Badkamers
1 badkamer en 1 apart toilet
Soort bouw
Bestaande bouw
Eigendomssituatie
Volle eigendom
Tuin
Achtertuin
Achtertuin
84 m² (14m diep en 6m breed)

Voorzieningen in de buurt

Boodschappen0,3 km
Grote supermarkt0,4 km
Cafetaria0,2 km
Restaurant0,3 km
Huisarts0,3 km
Ziekenhuis2,8 km
Kinderdagverblijf0,4 km
BSO0,4 km
Alle voorzieningen in Blerick-Centrum

Binnenkijken bij 2e Lambertusstraat 18 te Venlo

Meer meldingen in deze omgeving

Binnenkijken bij
Donderdag 15-1-2026
Averbodestraat 62, 5921ES Venlo

Binnenkijken bij
Donderdag 15-1-2026
Nieuwborgstraat 43, 5921XN Venlo

Binnenkijken bij
Vrijdag 9-1-2026
Baarlosestraat 26, 5921ED Venlo

Binnenkijken bij
Zaterdag 3-1-2026
1e Graaf van Loonstraat 55, 5921JB Venlo

Nieuw bedrijf
Januari 2026
van Laerstraat 23, 5921JG Venlo

Nieuw bedrijf
Januari 2026
van Laerstraat 23, 5921JG Venlo

Nieuw bedrijf
Januari 2026
Sint Willebrordstraat 5, 5921JV Venlo

Nieuw bedrijf
Januari 2026
Maasbreesestraat 54, 5921EM Venlo

Direct een e-mail ontvangen bij nieuwe meldingen in deze regio?

Meld je dan GRATIS aan voor de Oozo Alert service voor Blerick-Centrum

Instellen

Meer nieuws in Blerick-Centrum

Weten hoe eenvoudig het is om af te vallen? Zonder pillen en smeersels en zonder je in het zweet te werken!
Kijk op eenvoudig-afvallen.nl

© 2012 - 2026 OOZO.nl - info@oozo.nl - Gegevens verwijderen? | Disclaimer | Privacy statement